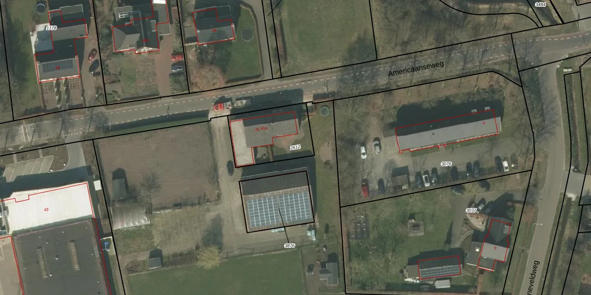
Perceel: HOR01-M-2612
KadastraleKaart.com kan meer dan je denktOntdek meer ›
Filter op bestemming 50+ datasets Eigendomsdata in één klik Percelen CRM
485 m2 - 90 m
Eigenaar opvragen
HOR01-M-2612 (Horst)
- 5961 GN
9OP976ZHKw3lM20HP8Upgrade naar KadastraleKaart Pro
Verkoopprijs opvragen
Bekijk op Street View
Download DWG/DXF/Excel
BwUMA57tFyKTzC 9Upgrade naar KadastraleKaart Pro
QVmuxfnznWc6Rli4B HZUpgrade naar KadastraleKaart Pro
t0nO JYvb i9h5q7OUpgrade naar KadastraleKaart Pro
vJ4LD9mjFNUpgrade naar KadastraleKaart Pro
v7XQ43EN1PI1l nOJTUpgrade naar KadastraleKaart Pro
FxBE8nlMaUpgrade naar KadastraleKaart Pro
S72OpvvD2nkNUMzW7jqNUpgrade naar KadastraleKaart Pro
AmcjrvTJS5U33hLlw LEI Upgrade naar KadastraleKaart Pro
R 2J gl6gm7LjVkTUpgrade naar KadastraleKaart Pro
EPqbM3aE2EZtmWkUpgrade naar KadastraleKaart Pro
23/06/2009

Percelen
Gebruik de zoekbalk of klik op een perceel om informatie over het perceel te bekijken.