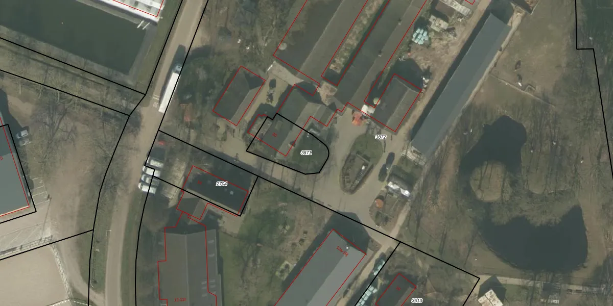
Perceel: HOR01-M-3871
KadastraleKaart.com kan meer dan je denktOntdek meer ›
Filter op bestemming 50+ datasets Eigendomsdata in één klik Percelen CRM
311 m2 - 72 m
Eigenaar opvragen
HOR01-M-3871 (Horst)
- 5963 AS
o9iUdwekWDyKB5RmAFUpgrade naar KadastraleKaart Pro
Bekijk op Street View
Download DWG/DXF/Excel
KBM6HQuRfUnbOd Upgrade naar KadastraleKaart Pro
VwjdrvkOerBTjUpgrade naar KadastraleKaart Pro
vNmTnUg 016bbqrX20b6Upgrade naar KadastraleKaart Pro
WOEQzID Cdjs qy tUpgrade naar KadastraleKaart Pro
HJTM3KLnYxGRVD2UxFNUpgrade naar KadastraleKaart Pro
xh DIrrBXLbOZgTM59bUpgrade naar KadastraleKaart Pro
9rPlS6wb zyZ10N13 Upgrade naar KadastraleKaart Pro
cATNJS20eFKHLUpgrade naar KadastraleKaart Pro
q9Sa fuT4YUpgrade naar KadastraleKaart Pro
W ij exe AUpgrade naar KadastraleKaart Pro
14/01/2022

Percelen
Gebruik de zoekbalk of klik op een perceel om informatie over het perceel te bekijken.