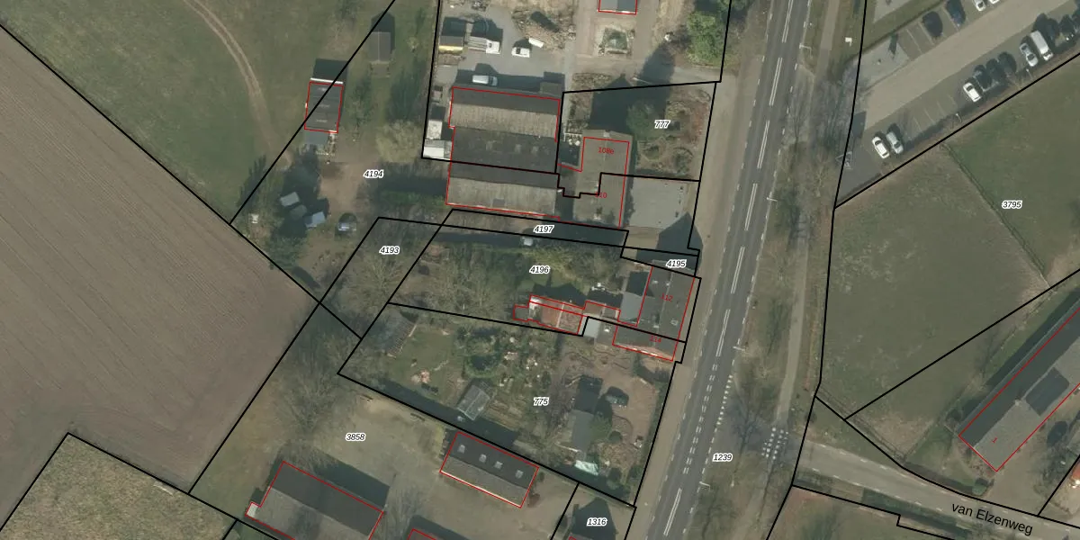
Perceel: HOR01-M-4196
KadastraleKaart.com kan meer dan je denktOntdek meer ›
Filter op bestemming 50+ datasets Eigendomsdata in één klik Percelen CRM
795 m2 - 140 m
Eigenaar opvragen
HOR01-M-4196 (Horst)
- 5963 AB
2F6 bwQa0pZwLvR0qKqwzAIgUpgrade naar KadastraleKaart Pro
Bekijk op Street View
Download DWG/DXF/Excel
etm0XASN2 iUpgrade naar KadastraleKaart Pro
orpaK3QIUpgrade naar KadastraleKaart Pro
qSm 1NXlDEcO oUpgrade naar KadastraleKaart Pro
LpcfvwAsGxlA8Upgrade naar KadastraleKaart Pro
PxZ43o4oZZfzLe1PlNWFZvUpgrade naar KadastraleKaart Pro
LO2tA vJOwUpgrade naar KadastraleKaart Pro
ttx9ps jauUpgrade naar KadastraleKaart Pro
2qRc V15YT BDgHkUpgrade naar KadastraleKaart Pro
v8zx2f25G7afboPDMgIwwGOUpgrade naar KadastraleKaart Pro
HUpcyF7EVGUpgrade naar KadastraleKaart Pro
12/06/2025

Percelen
Gebruik de zoekbalk of klik op een perceel om informatie over het perceel te bekijken.