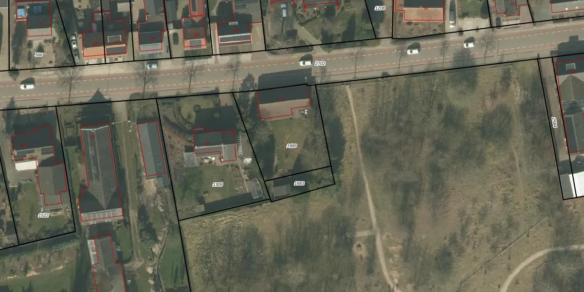
Perceel: HOR01-N-1489
KadastraleKaart.com kan meer dan je denktOntdek meer ›
Filter op bestemming 50+ datasets Eigendomsdata in één klik Percelen CRM
780 m2 - 113 m
Eigenaar opvragen
HOR01-N-1489 (Horst)
- 5961 CV
y5c70UvVcxinARWVeKF3gSpGK1g4xUpgrade naar KadastraleKaart Pro
Verkoopprijs opvragen
Bekijk op Street View
Download DWG/DXF/Excel
4hzG1YYmj fm7BjSbGnoc9Upgrade naar KadastraleKaart Pro
XyqZh p8pUpgrade naar KadastraleKaart Pro
Mk 2 yoTW4S3mZMP8 Upgrade naar KadastraleKaart Pro
og6 e1sbsIRBV G5cQiUpgrade naar KadastraleKaart Pro
evxN4P7v3yVqTkxsM9UU eVUpgrade naar KadastraleKaart Pro
0KL 8MIfPUpgrade naar KadastraleKaart Pro
i6dv0G88OK NnFZriGyAVLUpgrade naar KadastraleKaart Pro
67GdIEiAiF7QJbdxUpgrade naar KadastraleKaart Pro
br IdBkunsuWu4BDfVk9iSxUpgrade naar KadastraleKaart Pro
O V6 WoHIUpgrade naar KadastraleKaart Pro
21/06/2006

Percelen
Gebruik de zoekbalk of klik op een perceel om informatie over het perceel te bekijken.