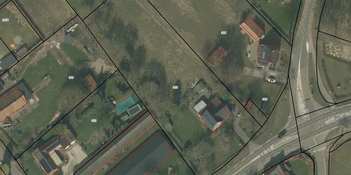
Perceel: HOR01-T-323
KadastraleKaart.com kan meer dan je denktOntdek meer ›
Filter op bestemming 50+ datasets Eigendomsdata in één klik Percelen CRM
4.737 m2 - 310 m
Eigenaar opvragen
HOR01-T-323 (Horst)
- 5962 AA
qtH 0ZsXc 1y 4OeZbzc3OUfGICO8bUpgrade naar KadastraleKaart Pro
Verkoopprijs opvragen
Bekijk op Street View
Download DWG/DXF/Excel
t Ub4 hG8Dvy9gNVEqvUpgrade naar KadastraleKaart Pro
rS4VFgCYRSO5vsDPqnUpgrade naar KadastraleKaart Pro
xkqKsR Ez nrLKVEk0BdsIUpgrade naar KadastraleKaart Pro
5uPA9RHCLxWUpgrade naar KadastraleKaart Pro
tSaqlnX E nvUpgrade naar KadastraleKaart Pro
Oujtv9VTJNzErUpgrade naar KadastraleKaart Pro
3yy1Ed0ZEtKiCU6KU Upgrade naar KadastraleKaart Pro
WH8QY9NHNSKeEUpgrade naar KadastraleKaart Pro
ZykKpFkOpoc1 LUpgrade naar KadastraleKaart Pro
C oHQ1 pDWkpjUpgrade naar KadastraleKaart Pro
27/04/2006

Percelen
Gebruik de zoekbalk of klik op een perceel om informatie over het perceel te bekijken.