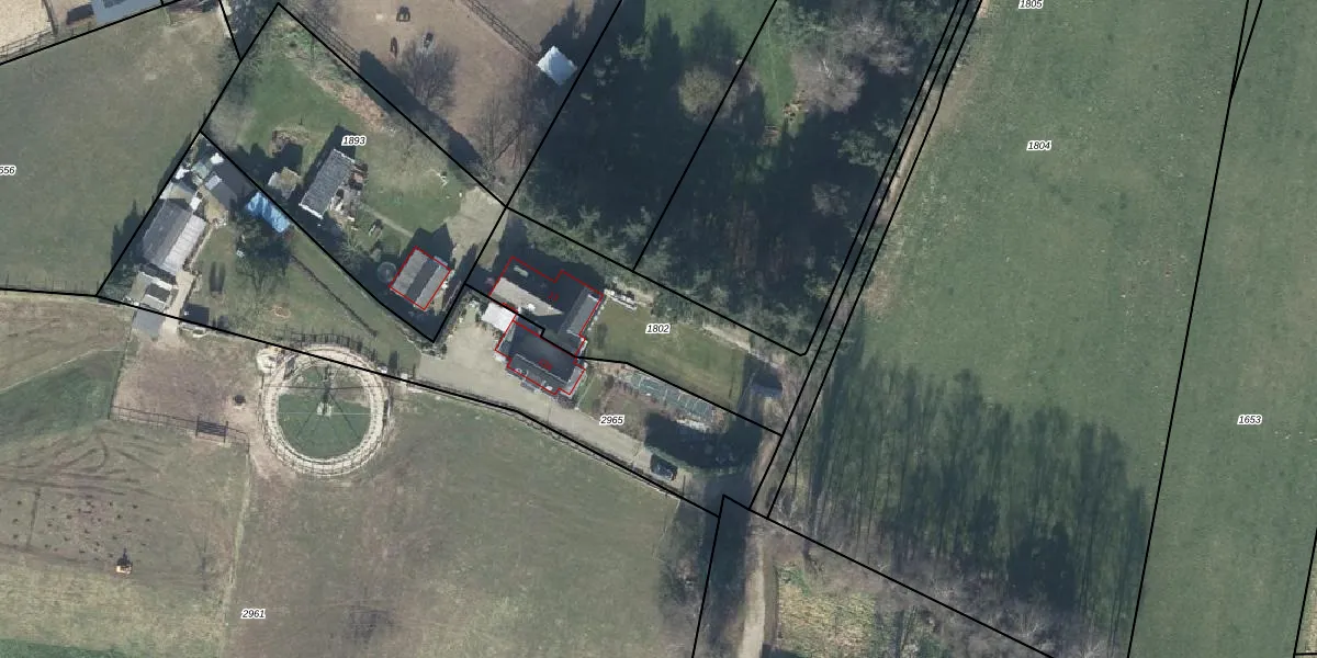
Perceel: HRB00-F-1802
785 m2 - 360 m
Eigenaar opvragen
HRB00-F-1802 ('s-Heerenberg)
- 7039 CE
dt5yx udVAaL34xD5Z coIsHni fFSUpgrade naar KadastraleKaart Pro
Verkoopprijs opvragen
Bekijk op Street View
Download DWG/DXF/Excel
mng5C1buEj1 AUxWnravUpgrade naar KadastraleKaart Pro
v8IHSOiFSniR7qSGeCuoWWUpgrade naar KadastraleKaart Pro
heWrKw kOL 3tueZSDAUpgrade naar KadastraleKaart Pro
0pg XNIxD0jrMUpgrade naar KadastraleKaart Pro
x9TxwhD6ufzDPMXGYUpgrade naar KadastraleKaart Pro
66ZshzWxMvhSY2 y6VUpgrade naar KadastraleKaart Pro
BSuuAoas6Upgrade naar KadastraleKaart Pro
XmfWQobQ6qTimEAUpgrade naar KadastraleKaart Pro
bI WBoAtUSJhlTayUpgrade naar KadastraleKaart Pro
HJSGp8phXEYYwUpgrade naar KadastraleKaart Pro
20/10/2023

Percelen
Gebruik de zoekbalk of klik op een perceel om informatie over het perceel te bekijken.