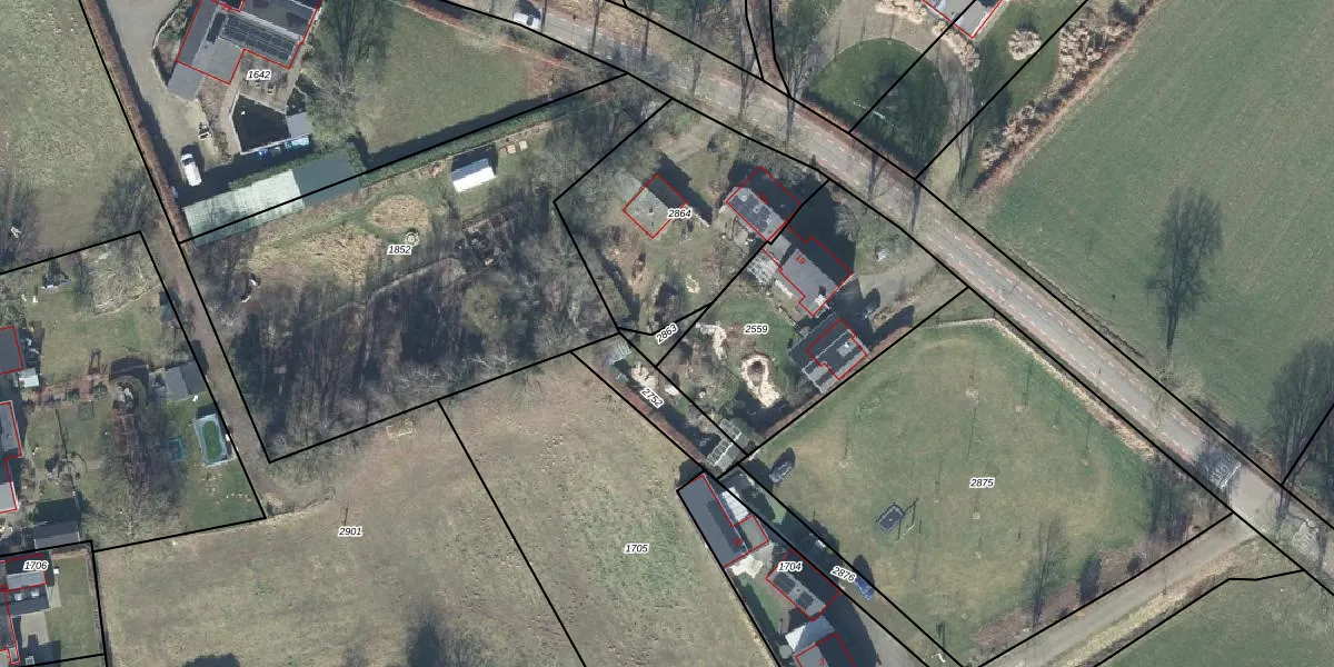
Perceel: HRB00-F-2863
KadastraleKaart.com kan meer dan je denktOntdek meer ›
Filter op bestemming 50+ datasets Eigendomsdata in één klik Percelen CRM
Geen adressen bij dit perceel
35 m2 - 37 m
Eigenaar opvragen
HRB00-F-2863 ('s-Heerenberg)
- Geen postcode aanwezig
Y2g Gc g6jSR2nD f a41SHUpgrade naar KadastraleKaart Pro
Bekijk op Street View
Download DWG/DXF/Excel
we62xc wZ3e Qz8Upgrade naar KadastraleKaart Pro
AzpmtBo1dz2Upgrade naar KadastraleKaart Pro
wWow pX3LCar2pZ2pz4SvxnUpgrade naar KadastraleKaart Pro
Wq0 rSrFluRZT0yX2Upgrade naar KadastraleKaart Pro
iObu6siw0R8ZnU5LiUpgrade naar KadastraleKaart Pro
wumVfJxeUpgrade naar KadastraleKaart Pro
nV P 8uaKhVGXdUpgrade naar KadastraleKaart Pro
wBguuUGMTscPY P5CJUpgrade naar KadastraleKaart Pro
GousAt8tL9Upgrade naar KadastraleKaart Pro
Ew9UKKouUpgrade naar KadastraleKaart Pro
13/11/2017

Percelen
Gebruik de zoekbalk of klik op een perceel om informatie over het perceel te bekijken.