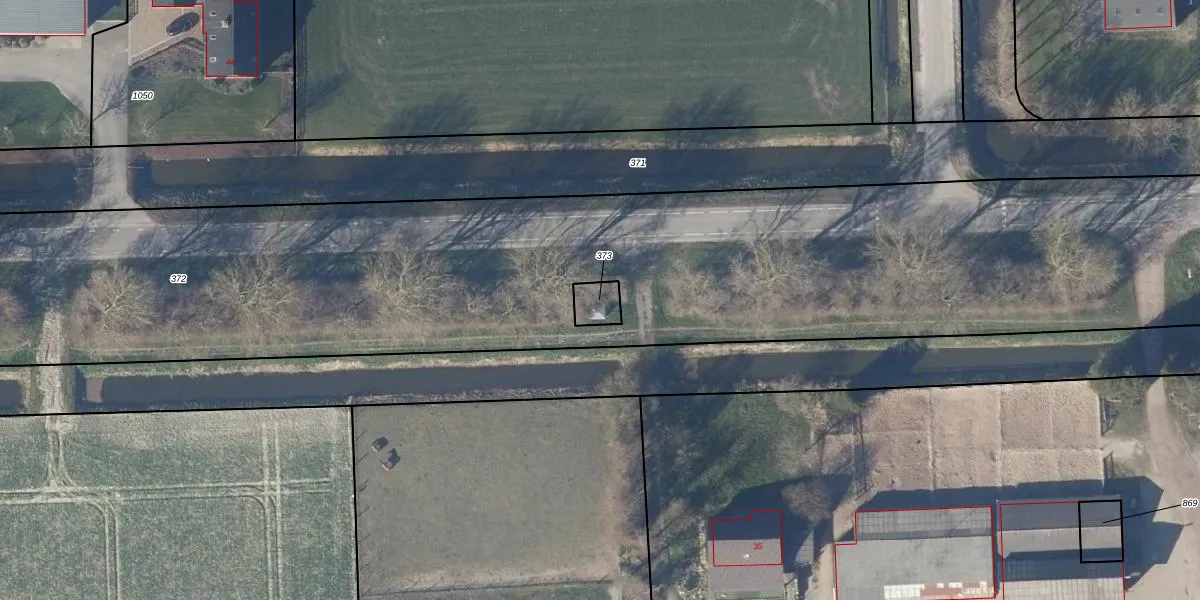
Perceel: HRK00-N-373
KadastraleKaart.com kan meer dan je denktOntdek meer ›
Filter op bestemming 50+ datasets Eigendomsdata in één klik Percelen CRM
Geen adressen bij dit perceel
56 m2 - 29 m
Eigenaar opvragen
HRK00-N-373 (Harenkarspel)
- Geen postcode aanwezig
lkE5T 2JvP1AWqxTvLPNwJ8NcBJVWjoUpgrade naar KadastraleKaart Pro
Bekijk op Street View
Download DWG/DXF/Excel
Es rSNBTUpgrade naar KadastraleKaart Pro
7kpYf8W5VPhMUEUpgrade naar KadastraleKaart Pro
ZId 9W0Upgrade naar KadastraleKaart Pro
IE LZq0h3E82WQn umSQM2kUpgrade naar KadastraleKaart Pro
3HFtyXfv 7sfkRW ZmaHUpgrade naar KadastraleKaart Pro
vGtHr8n a9Lu4TPsAVHkUpgrade naar KadastraleKaart Pro
s97 jVhwtH1HSTLGGb Upgrade naar KadastraleKaart Pro
GR4IAqmtNUpgrade naar KadastraleKaart Pro
Fyg32XoCGoeG1GfAeFBKIUpgrade naar KadastraleKaart Pro
NyBEeLIZQyRyyWu6 Upgrade naar KadastraleKaart Pro
09/05/2003

Percelen
Gebruik de zoekbalk of klik op een perceel om informatie over het perceel te bekijken.