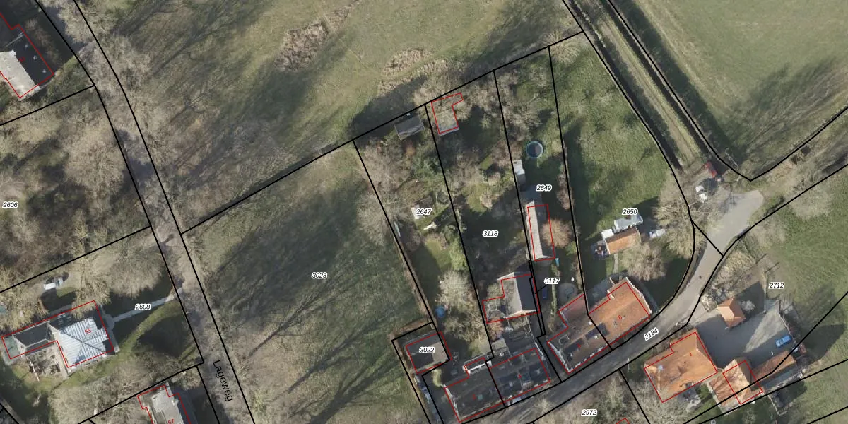
Perceel: HRN01-E-2647
KadastraleKaart.com kan meer dan je denktOntdek meer ›
Filter op bestemming 50+ datasets Eigendomsdata in één klik Percelen CRM
1.105 m2 - 188 m
Eigenaar opvragen
HRN01-E-2647 (Haren)
- 9479 PD
W RckhPOIvH0iYPH01BSpanUpgrade naar KadastraleKaart Pro
Bekijk op Street View
Download DWG/DXF/Excel
x7dqUWp9SMc2 o Q2ufw1Upgrade naar KadastraleKaart Pro
WjDNb c gxH4Fn J jK hdUpgrade naar KadastraleKaart Pro
pg AynOB2iRg15Em5Upgrade naar KadastraleKaart Pro
21LqYZASvTQUpgrade naar KadastraleKaart Pro
sLdVWr jhXG ZMNmPHd 5Upgrade naar KadastraleKaart Pro
07aUXESfTL4Upgrade naar KadastraleKaart Pro
Z97if Y6lUpgrade naar KadastraleKaart Pro
l63Ou1i3q1UgCeUpgrade naar KadastraleKaart Pro
xeS2f 6QHoOYs8yrPUpgrade naar KadastraleKaart Pro
LS3n aH j y YGxUUpgrade naar KadastraleKaart Pro
14/11/1997

Percelen
Gebruik de zoekbalk of klik op een perceel om informatie over het perceel te bekijken.