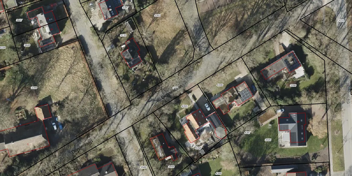
Perceel: HRN01-H-3372
KadastraleKaart.com kan meer dan je denktOntdek meer ›
Filter op bestemming 50+ datasets Eigendomsdata in één klik Percelen CRM
Geen adressen bij dit perceel
3.010 m2 - 627 m
Eigenaar opvragen
HRN01-H-3372 (Haren)
- Geen postcode aanwezig
8zul7xrNuX 5NrCRVUpgrade naar KadastraleKaart Pro
Bekijk op Street View
Download DWG/DXF/Excel
Vxdav35X1k7jMQcfaUpgrade naar KadastraleKaart Pro
rLW1ABuPmTV8Upgrade naar KadastraleKaart Pro
1s4u3TTyHyHUpgrade naar KadastraleKaart Pro
7 zo SZi0jfl3NUqS2Z9KxdUpgrade naar KadastraleKaart Pro
3O0ChFOA6TF6Trf7gnoUpgrade naar KadastraleKaart Pro
dqqse59850vUpgrade naar KadastraleKaart Pro
W 4LRMGIn6oUpgrade naar KadastraleKaart Pro
ZT Mid rJumOYSkBXUumlUpgrade naar KadastraleKaart Pro
S WK9X63nUpgrade naar KadastraleKaart Pro
UcF0389oJDdKBG wN1rVNvUpgrade naar KadastraleKaart Pro
26/11/2012

Percelen
Gebruik de zoekbalk of klik op een perceel om informatie over het perceel te bekijken.