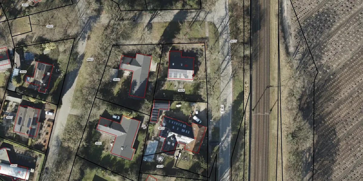
Perceel: HRN01-H-3604
KadastraleKaart.com kan meer dan je denktOntdek meer ›
Filter op bestemming 50+ datasets Eigendomsdata in één klik Percelen CRM
840 m2 - 117 m
Eigenaar opvragen
HRN01-H-3604 (Haren)
- 9756 CC
WB13ZF5QQEYG nEppTwUpgrade naar KadastraleKaart Pro
Verkoopprijs opvragen
Bekijk op Street View
Download DWG/DXF/Excel
SWPFzDUF4 Upgrade naar KadastraleKaart Pro
Y vcKYKYOX6A2RUpgrade naar KadastraleKaart Pro
CbaWvCwFI4JAUpgrade naar KadastraleKaart Pro
S3tmJ5jiEc7iLgbIJZw2KnUpgrade naar KadastraleKaart Pro
Bs6wQgQocrd2 RUpgrade naar KadastraleKaart Pro
J wWe103S6jiW8vSlUpgrade naar KadastraleKaart Pro
wpmr 6MjvcmUpgrade naar KadastraleKaart Pro
vqM3R0A5gbYUpgrade naar KadastraleKaart Pro
OoE5o5 FUgp5R6MNlBjUpgrade naar KadastraleKaart Pro
lIt bdNLOGxGd6bpgAUpgrade naar KadastraleKaart Pro
21/04/2009

Percelen
Gebruik de zoekbalk of klik op een perceel om informatie over het perceel te bekijken.