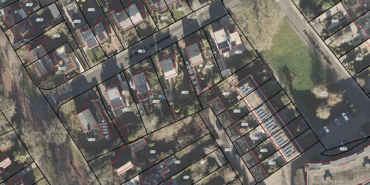
Perceel: HRN01-M-1196
KadastraleKaart.com kan meer dan je denktOntdek meer ›
Filter op bestemming 50+ datasets Eigendomsdata in één klik Percelen CRM
622 m2 - 110 m
Eigenaar opvragen
HRN01-M-1196 (Haren)
- 9751 PL
OYsuQr2A0il vniEeXHcvHwS EZHUpgrade naar KadastraleKaart Pro
Bekijk op Street View
Download DWG/DXF/Excel
lDbV 9G8qbgkXeHdhoUpgrade naar KadastraleKaart Pro
vodIkBuiqURpgJ6 UUpgrade naar KadastraleKaart Pro
wgvIdrzWUEJxID3Upgrade naar KadastraleKaart Pro
Xt8UPhjhZBWMd4WexzUpgrade naar KadastraleKaart Pro
SPOVttCY ivRs32as58qjhUpgrade naar KadastraleKaart Pro
E4e4 wXMlSY0Upgrade naar KadastraleKaart Pro
XqPmp vg fzt LTCmJ50Upgrade naar KadastraleKaart Pro
Dwhl8fqmWBT561EUUpgrade naar KadastraleKaart Pro
fM z6b7m2Upgrade naar KadastraleKaart Pro
P o 5ZR6MpParwHkUpgrade naar KadastraleKaart Pro
12/10/2006

Percelen
Gebruik de zoekbalk of klik op een perceel om informatie over het perceel te bekijken.