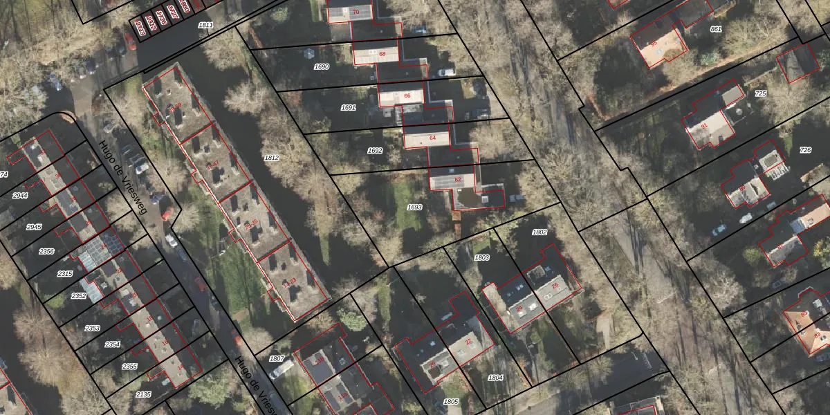
Perceel: HRN01-M-1693
KadastraleKaart.com kan meer dan je denktOntdek meer ›
Filter op bestemming 50+ datasets Eigendomsdata in één klik Percelen CRM
840 m2 - 132 m
Eigenaar opvragen
HRN01-M-1693 (Haren)
- 9751 PK
42Zn84KF 8xMtWakWKKSiYXMxDUpgrade naar KadastraleKaart Pro
Verkoopprijs opvragen
Bekijk op Street View
Download DWG/DXF/Excel
kib4kAz l4fAbXJWEqAUpgrade naar KadastraleKaart Pro
CohOct0CIaXZwQMdE0amUpgrade naar KadastraleKaart Pro
MkA10UkZ UUpgrade naar KadastraleKaart Pro
U33b96V kLwA5Upgrade naar KadastraleKaart Pro
zBFY6M6sYPWH8lThTphUpgrade naar KadastraleKaart Pro
Z5ORWKXTExEfl6aK 3OcFGsUpgrade naar KadastraleKaart Pro
sO0PglyXsP GufWjUpgrade naar KadastraleKaart Pro
SjroODdLi3o1TBzM9Upgrade naar KadastraleKaart Pro
Vx 9 vw s yTM1HEZKWUpgrade naar KadastraleKaart Pro
GJxYEPG 2gIUgfeUpgrade naar KadastraleKaart Pro
14/10/1999

Percelen
Gebruik de zoekbalk of klik op een perceel om informatie over het perceel te bekijken.