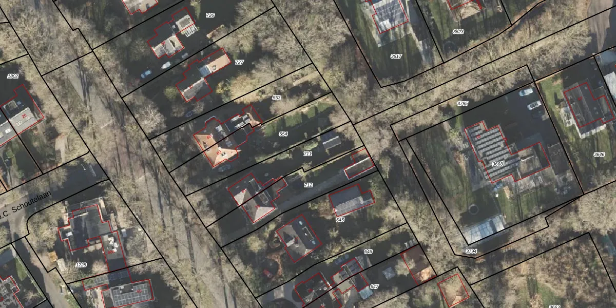
Perceel: HRN01-M-711
KadastraleKaart.com kan meer dan je denktOntdek meer ›
Filter op bestemming 50+ datasets Eigendomsdata in één klik Percelen CRM
547 m2 - 140 m
Eigenaar opvragen
HRN01-M-711 (Haren)
- 9751 PC
LZ7ma iOzKuqW9VwfDWRWWFd4hUpgrade naar KadastraleKaart Pro
Bekijk op Street View
Download DWG/DXF/Excel
iP KgcOY2km99C6 BUpgrade naar KadastraleKaart Pro
weHBO9FoO8wNg Upgrade naar KadastraleKaart Pro
RUrz3l7WzM4YUpgrade naar KadastraleKaart Pro
5iMHueFq2 TSWqUpgrade naar KadastraleKaart Pro
jGieB2yh Upgrade naar KadastraleKaart Pro
y jPSuldyUBG0BOjfHUpgrade naar KadastraleKaart Pro
xq2ZWzr0Upgrade naar KadastraleKaart Pro
y782C p0Upgrade naar KadastraleKaart Pro
3I9p dpaXHGUpgrade naar KadastraleKaart Pro
S1 WN9a9rUpgrade naar KadastraleKaart Pro
06/04/2000

Percelen
Gebruik de zoekbalk of klik op een perceel om informatie over het perceel te bekijken.