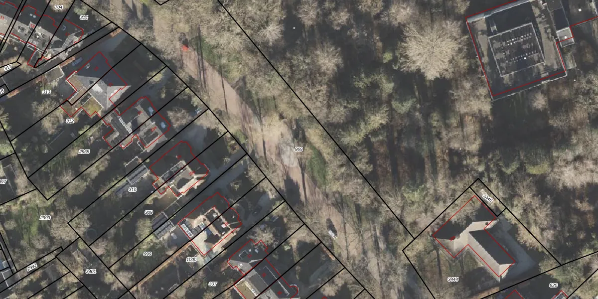
Perceel: HRN01-M-869
KadastraleKaart.com kan meer dan je denktOntdek meer ›
Filter op bestemming 50+ datasets Eigendomsdata in één klik Percelen CRM
Geen adressen bij dit perceel
7.494 m2 - 977 m
Eigenaar opvragen
HRN01-M-869 (Haren)
- Geen postcode aanwezig
wemYDWyw8C DKaiu0t S8PQliSfTuTQUpgrade naar KadastraleKaart Pro
Bekijk op Street View
Download DWG/DXF/Excel
QNT0 QWmnDxpGFUpgrade naar KadastraleKaart Pro
tiJ1Eww8aoraLVZ nt DE Upgrade naar KadastraleKaart Pro
H4EhGe6EGkkdh of Upgrade naar KadastraleKaart Pro
BYsJBm2YpZnntFNDEfUpgrade naar KadastraleKaart Pro
Voi4qnPOFGKAT5NHwHBeUpgrade naar KadastraleKaart Pro
Rj8DBCJu 74XZ Fl8Upgrade naar KadastraleKaart Pro
zKpe6HSgXmrrUpgrade naar KadastraleKaart Pro
2kZa4 Jh7 Hw Upgrade naar KadastraleKaart Pro
xnMK3 bE13fUpgrade naar KadastraleKaart Pro
ygUXvCzGP 2cVIUpgrade naar KadastraleKaart Pro
14/08/2006

Percelen
Gebruik de zoekbalk of klik op een perceel om informatie over het perceel te bekijken.