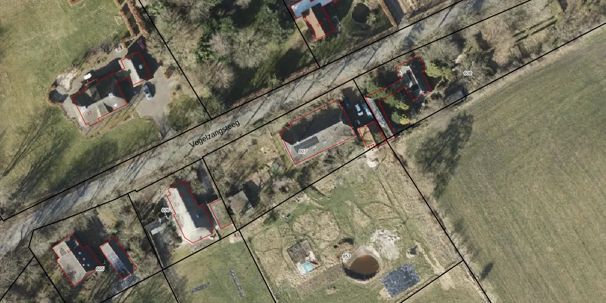
Perceel: HRN01-P-607
KadastraleKaart.com kan meer dan je denktOntdek meer ›
Filter op bestemming 50+ datasets Eigendomsdata in één klik Percelen CRM
1.415 m2 - 164 m
Eigenaar opvragen
HRN01-P-607 (Haren)
- 9479 TG
CAN5DwCXQSArzwT AxDg 19ACgmUgUpgrade naar KadastraleKaart Pro
Verkoopprijs opvragen
Bekijk op Street View
Download DWG/DXF/Excel
dDvbu2jqrbOjAnwKbnarWTUpgrade naar KadastraleKaart Pro
T2G 9TNZvTm 3tUpgrade naar KadastraleKaart Pro
A8 oAvh1waCM g WZW8rJJlUpgrade naar KadastraleKaart Pro
mmogxoK0 V59wTi8InfUpgrade naar KadastraleKaart Pro
yUQ4EHUSe3LjEMVaVMUpgrade naar KadastraleKaart Pro
IkistRAJZUpgrade naar KadastraleKaart Pro
WTohi12dvL eam7BJHKrrnAUpgrade naar KadastraleKaart Pro
TC PxJfbaYEtUpgrade naar KadastraleKaart Pro
gH oU5 e8Kd2lS5HGd d uUpgrade naar KadastraleKaart Pro
SL4TJDuCom0jcF9dKhUpgrade naar KadastraleKaart Pro
12/07/2023

Percelen
Gebruik de zoekbalk of klik op een perceel om informatie over het perceel te bekijken.