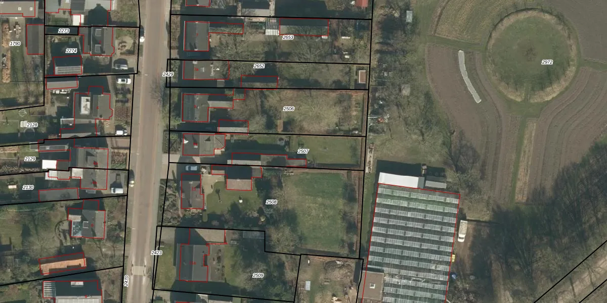
Perceel: HRN02-B-2507
KadastraleKaart.com kan meer dan je denktOntdek meer ›
Filter op bestemming 50+ datasets Eigendomsdata in één klik Percelen CRM
715 m2 - 151 m
Eigenaar opvragen
HRN02-B-2507 (Haaren)
- 5076 TD
fGLkgmcfluQrrdd712V9Lq07Yi9LUpgrade naar KadastraleKaart Pro
Bekijk op Street View
Download DWG/DXF/Excel
b18S8PN amO2nT iHsiVFqUpgrade naar KadastraleKaart Pro
Xthy l GiqS4U6zgUpgrade naar KadastraleKaart Pro
KR5BrxY 9Upgrade naar KadastraleKaart Pro
Gj Q08FM0mOUpgrade naar KadastraleKaart Pro
B UxFF7ngcgcUpgrade naar KadastraleKaart Pro
5mEIkdnB323LmAUpgrade naar KadastraleKaart Pro
zvYvzsdiKHHWjKt0Rs qZxJUpgrade naar KadastraleKaart Pro
oSQ sS M4qlyZKOLDnsiOOxUpgrade naar KadastraleKaart Pro
vHRq1maTnussr8 Upgrade naar KadastraleKaart Pro
dILKrC6LfvR5TPCLXFHUpgrade naar KadastraleKaart Pro
18/02/2008

Percelen
Gebruik de zoekbalk of klik op een perceel om informatie over het perceel te bekijken.