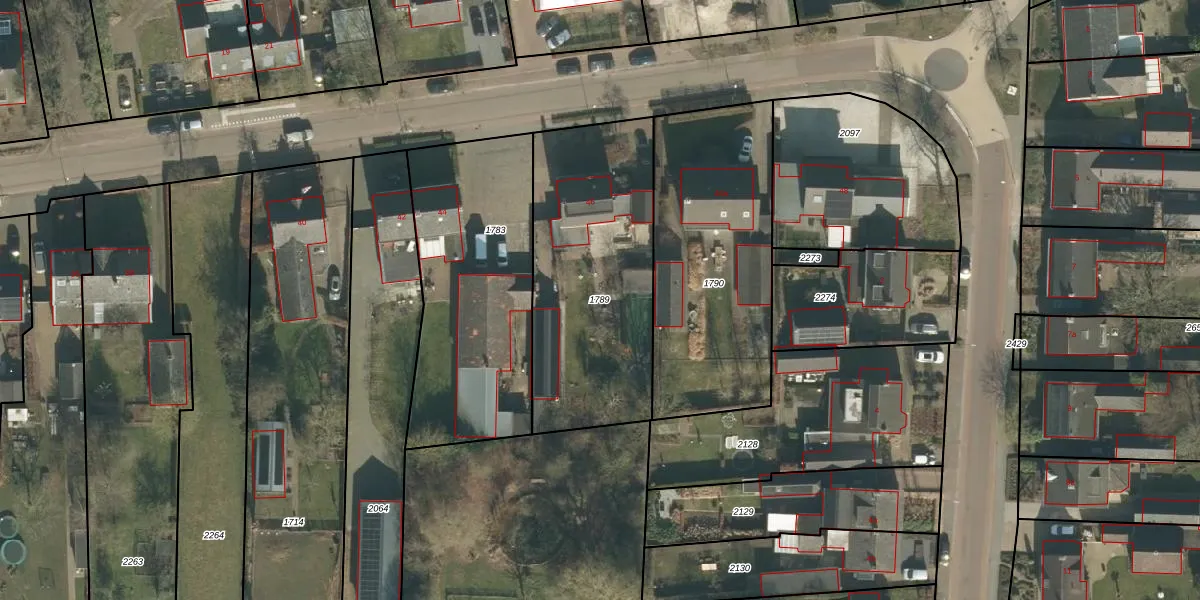
Perceel: HRN02-D-1789
KadastraleKaart.com kan meer dan je denktOntdek meer ›
Filter op bestemming 50+ datasets Eigendomsdata in één klik Percelen CRM
1.000 m2 - 141 m
Eigenaar opvragen
HRN02-D-1789 (Haaren)
- 5076 TM
YLiJbHyGxXw4 o P5 DKcUpgrade naar KadastraleKaart Pro
Verkoopprijs opvragen
Bekijk op Street View
Download DWG/DXF/Excel
tjz7h6RlYVtFKhy dnl57yUpgrade naar KadastraleKaart Pro
OBPt ELE 98cklNCOdmHXKUpgrade naar KadastraleKaart Pro
wMi c4 UtdMICjpQItRUpgrade naar KadastraleKaart Pro
PK6AWf32L SOE NsUpgrade naar KadastraleKaart Pro
RXKidGzRbjnGy ZCzUpgrade naar KadastraleKaart Pro
Ho9qD6iSViDZUksjywc Upgrade naar KadastraleKaart Pro
X7JQhT92LuUpgrade naar KadastraleKaart Pro
YVwhUj94RM iFUpgrade naar KadastraleKaart Pro
TF KEWurBH5THeUpgrade naar KadastraleKaart Pro
m6L9oaeA69Upgrade naar KadastraleKaart Pro
18/02/2008

Percelen
Gebruik de zoekbalk of klik op een perceel om informatie over het perceel te bekijken.