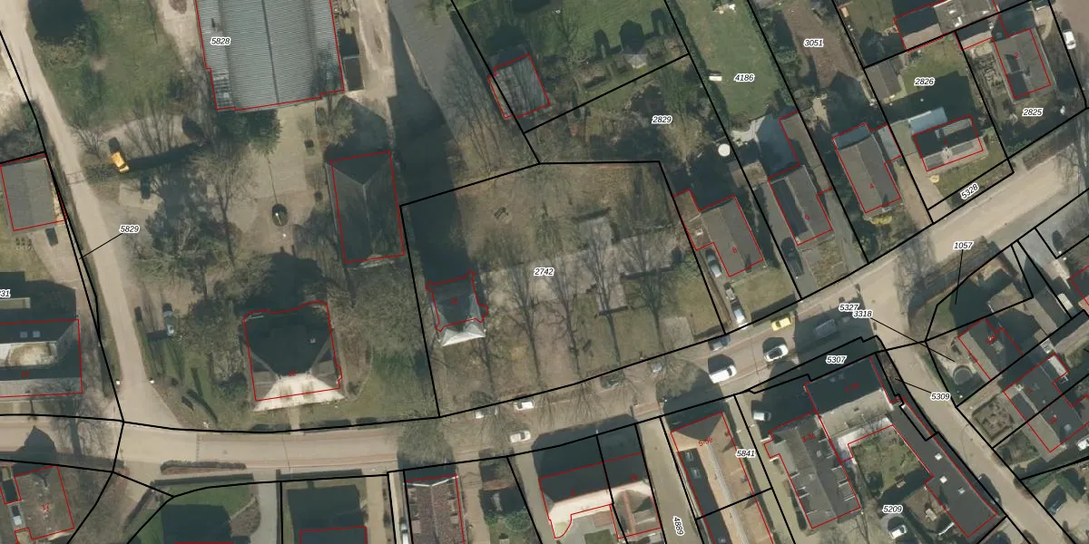
Perceel: HRN02-E-2742
KadastraleKaart.com kan meer dan je denktOntdek meer ›
Filter op bestemming 50+ datasets Eigendomsdata in één klik Percelen CRM
2.140 m2 - 177 m
Eigenaar opvragen
HRN02-E-2742 (Haaren)
- 5076 AC
QfRoj4 vmzGYJYHjRIn52oUpgrade naar KadastraleKaart Pro
Bekijk op Street View
Download DWG/DXF/Excel
p8jMJN45vN3DgqUpgrade naar KadastraleKaart Pro
BTwFNrinRy4bMUvK 1lteiUpgrade naar KadastraleKaart Pro
t5EWljXsi7LY8Upgrade naar KadastraleKaart Pro
kks25IjCE11Upgrade naar KadastraleKaart Pro
bM mcFeA Z zD2huQW6K mUpgrade naar KadastraleKaart Pro
Ye CjHH5Upgrade naar KadastraleKaart Pro
cfs6VgTmmUpgrade naar KadastraleKaart Pro
g ZrNklgVa Upgrade naar KadastraleKaart Pro
d5nzJyqJUAdMUpgrade naar KadastraleKaart Pro
7iSSZm9anceQd3T97CUpgrade naar KadastraleKaart Pro
14/02/2008

Percelen
Gebruik de zoekbalk of klik op een perceel om informatie over het perceel te bekijken.