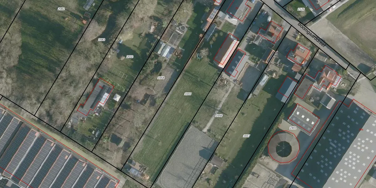
Perceel: HRV02-A-1655
KadastraleKaart.com kan meer dan je denktOntdek meer ›
Filter op bestemming 50+ datasets Eigendomsdata in één klik Percelen CRM
2.121 m2 - 272 m
Eigenaar opvragen
HRV02-A-1655 (Stad aan het Haringvliet)
- 3243 AC
XM1JFwhQc96v f8 w44BjuxpO dsbMUpgrade naar KadastraleKaart Pro
Verkoopprijs opvragen
Bekijk op Street View
Download DWG/DXF/Excel
b5x5Q1RodGFUpgrade naar KadastraleKaart Pro
bwSflv ylQEz R4gUpgrade naar KadastraleKaart Pro
7nn Q PT59Upgrade naar KadastraleKaart Pro
NmCjIHWQFUpgrade naar KadastraleKaart Pro
kKSYY j3 1vZv7Upgrade naar KadastraleKaart Pro
w n3vK2686sy0Er8 tUpgrade naar KadastraleKaart Pro
Jx dh1K2aFGUpgrade naar KadastraleKaart Pro
86Kjt4Ws4b IZJKK2Upgrade naar KadastraleKaart Pro
YL01y u2 dLXUpgrade naar KadastraleKaart Pro
x yDpDbwoUpgrade naar KadastraleKaart Pro
25/08/2004

Percelen
Gebruik de zoekbalk of klik op een perceel om informatie over het perceel te bekijken.