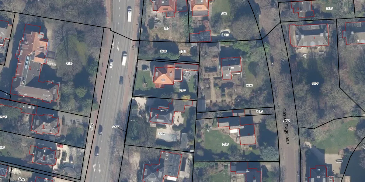
Perceel: HSD01-A-5267
KadastraleKaart.com kan meer dan je denktOntdek meer ›
Filter op bestemming 50+ datasets Eigendomsdata in één klik Percelen CRM
684 m2 - 110 m
Eigenaar opvragen
HSD01-A-5267 (Heemstede)
- 2101 MV
W3sPPyX8H3qGuM BUpgrade naar KadastraleKaart Pro
Verkoopprijs opvragen
Bekijk op Street View
Download DWG/DXF/Excel
lTYIOtq9Fp LgY lPgMIUpgrade naar KadastraleKaart Pro
m xlIAz98 ipS OUpgrade naar KadastraleKaart Pro
8EGAMmh2 4Wr QTc7lUpgrade naar KadastraleKaart Pro
Vv7BCa tW99s7MMULqVgZC0Upgrade naar KadastraleKaart Pro
HKYqTcl11epjdHbUpgrade naar KadastraleKaart Pro
e3gYZ214C 2kUpgrade naar KadastraleKaart Pro
sJIeqC qXPCbMUpgrade naar KadastraleKaart Pro
qE9Fby g1uUpgrade naar KadastraleKaart Pro
fnJG P149WLoTbTe w hOBUpgrade naar KadastraleKaart Pro
Hcl DqY vI TKUpgrade naar KadastraleKaart Pro
23/08/2002

Percelen
Gebruik de zoekbalk of klik op een perceel om informatie over het perceel te bekijken.