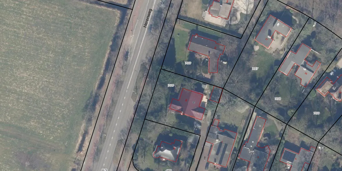
Perceel: HSD01-B-7020
KadastraleKaart.com kan meer dan je denktOntdek meer ›
Filter op bestemming 50+ datasets Eigendomsdata in één klik Percelen CRM
1.285 m2 - 199 m
Eigenaar opvragen
HSD01-B-7020 (Heemstede)
- 2101 ML
F0f wZG47B xI75H1AUpgrade naar KadastraleKaart Pro
Verkoopprijs opvragen
Bekijk op Street View
Download DWG/DXF/Excel
vVf6UtNQxUpgrade naar KadastraleKaart Pro
IYx6r8W l9MHRwUpgrade naar KadastraleKaart Pro
fT8HXVVQ 6IYKzALDlBL0Upgrade naar KadastraleKaart Pro
qUL2W85cb54d Upgrade naar KadastraleKaart Pro
uA 1J o Upgrade naar KadastraleKaart Pro
4QehvoTJagUpgrade naar KadastraleKaart Pro
kymzQQRZvfmSUpgrade naar KadastraleKaart Pro
bd31AnRyqRaTSUpgrade naar KadastraleKaart Pro
Vz 5PKb 9IXrwiUpgrade naar KadastraleKaart Pro
43yc3 cuaK5Upgrade naar KadastraleKaart Pro
22/02/1999

Percelen
Gebruik de zoekbalk of klik op een perceel om informatie over het perceel te bekijken.