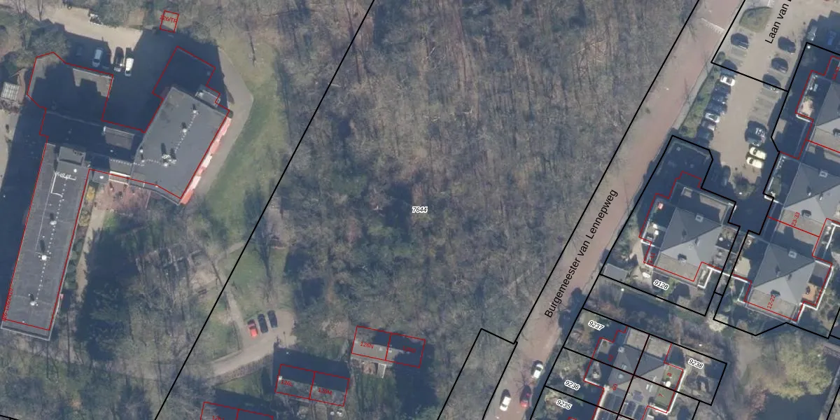
Perceel: HSD01-B-7644
9.260 m2 - 428 m
Eigenaar opvragen
HSD01-B-7644 (Heemstede)
- 2101 MS
Q pkyGh1x5fnhh3lUpgrade naar KadastraleKaart Pro
Bekijk op Street View
Download DWG/DXF/Excel
Zg8RJmgYXWUpgrade naar KadastraleKaart Pro
9m e7mRdWUpgrade naar KadastraleKaart Pro
gFsBJpTmtUpgrade naar KadastraleKaart Pro
V MB Xlsfz qUpgrade naar KadastraleKaart Pro
u6RQbE0ESpvr4yUpgrade naar KadastraleKaart Pro
KWC TjWLJzP7CGwoPFS Upgrade naar KadastraleKaart Pro
NBzzWcNK6DbNcH7tQyeTUpgrade naar KadastraleKaart Pro
Wzdpw 4SUpgrade naar KadastraleKaart Pro
mlDzm5 OByWzI12qyUpgrade naar KadastraleKaart Pro
eIQMyhUKvKKmsBSDxUpgrade naar KadastraleKaart Pro
24/08/2012

Percelen
Gebruik de zoekbalk of klik op een perceel om informatie over het perceel te bekijken.