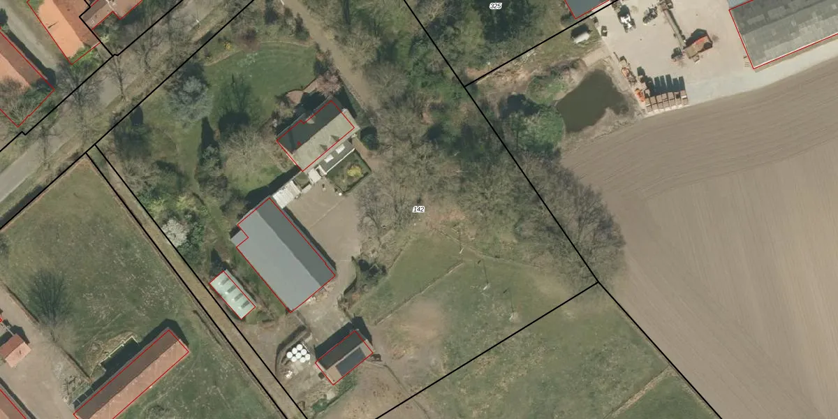
Perceel: HSL00-G-142
KadastraleKaart.com kan meer dan je denktOntdek meer ›
Filter op bestemming 50+ datasets Eigendomsdata in één klik Percelen CRM
7.696 m2 - 354 m
Eigenaar opvragen
HSL00-G-142 (Hunsel)
- 6012 RC
MkH aejBG 3kjsHS12xGvrrYwhfhh qUpgrade naar KadastraleKaart Pro
Bekijk op Street View
Download DWG/DXF/Excel
J zSKsEiw2Upgrade naar KadastraleKaart Pro
aXOc9 Y zrUpgrade naar KadastraleKaart Pro
7p8D3eJhjX2lZUpgrade naar KadastraleKaart Pro
IvDsQAJgUpgrade naar KadastraleKaart Pro
Nf S4 l qCPUpgrade naar KadastraleKaart Pro
5mw r MYav6F4RJUpgrade naar KadastraleKaart Pro
HNC 5b55pWUpgrade naar KadastraleKaart Pro
d3Wp3VGansrldrrHU 32BvUpgrade naar KadastraleKaart Pro
BtstjTXSILWa5pnUpgrade naar KadastraleKaart Pro
AWEhvrzl xqUpgrade naar KadastraleKaart Pro
19/06/2006

Percelen
Gebruik de zoekbalk of klik op een perceel om informatie over het perceel te bekijken.