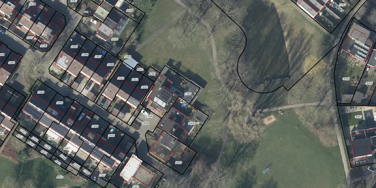
Perceel: HSN01-I-2765
KadastraleKaart.com kan meer dan je denktOntdek meer ›
Filter op bestemming 50+ datasets Eigendomsdata in één klik Percelen CRM
427 m2 - 94 m
Eigenaar opvragen
HSN01-I-2765 (Huissen)
- 6852 CN
ZipaRr2Ws d58pv TCXuKdXoEUpgrade naar KadastraleKaart Pro
Verkoopprijs opvragen
Bekijk op Street View
Download DWG/DXF/Excel
sqv05h0YDhAFUpgrade naar KadastraleKaart Pro
4hzf VqGmoEtRN NHUpgrade naar KadastraleKaart Pro
8J xJZo9iUpgrade naar KadastraleKaart Pro
g iLE 7XMFtTxVniSVKEUpgrade naar KadastraleKaart Pro
xhuqnV55NUpgrade naar KadastraleKaart Pro
0LG9JYoO4Ce9cjIUpgrade naar KadastraleKaart Pro
Mj9qAX uQ9ycUpgrade naar KadastraleKaart Pro
gv dAK3r CXxjvUBh9Cs4Upgrade naar KadastraleKaart Pro
1K5WroCBcUu F4a0vO Upgrade naar KadastraleKaart Pro
RHYXrTC6mHnOy4Upgrade naar KadastraleKaart Pro
22/12/2017

Percelen
Gebruik de zoekbalk of klik op een perceel om informatie over het perceel te bekijken.