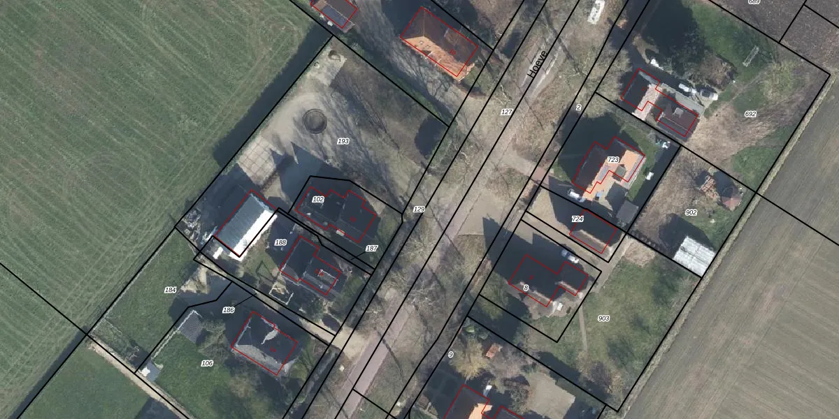
Perceel: HSN01-N-129
KadastraleKaart.com kan meer dan je denktOntdek meer ›
Filter op bestemming 50+ datasets Eigendomsdata in één klik Percelen CRM
Geen adressen bij dit perceel
1.540 m2 - 833 m
Eigenaar opvragen
HSN01-N-129 (Huissen)
- Geen postcode aanwezig
vtanG 1ShWdiF1aRcndHxe7oZUpgrade naar KadastraleKaart Pro
Bekijk op Street View
Download DWG/DXF/Excel
EG47OgFgMc3ewajPhb Upgrade naar KadastraleKaart Pro
rS4M8gpL1I1FmUnUpgrade naar KadastraleKaart Pro
D6RQlKK686b7 A9WTKxvGNeUpgrade naar KadastraleKaart Pro
9Fu DH jxDbUpgrade naar KadastraleKaart Pro
0j4ExHTzqUpgrade naar KadastraleKaart Pro
hIFkb4Wr3I g p8EQwUpgrade naar KadastraleKaart Pro
AmH XO1tN Yf9gCXDAIsUpgrade naar KadastraleKaart Pro
rrIwu58Co3TnEhvgIceJ Upgrade naar KadastraleKaart Pro
mpEeBLMs3qiHl znJisEUpgrade naar KadastraleKaart Pro
4FUmTlTXrUpgrade naar KadastraleKaart Pro
19/03/2014

Percelen
Gebruik de zoekbalk of klik op een perceel om informatie over het perceel te bekijken.