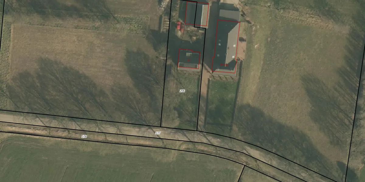
Perceel: HSN02-G-206
KadastraleKaart.com kan meer dan je denktOntdek meer ›
Filter op bestemming 50+ datasets Eigendomsdata in één klik Percelen CRM
1.325 m2 - 181 m
Eigenaar opvragen
HSN02-G-206 (Horssen)
- 6631 KL
Z18YXe O2KWD2NC DZst1l9D70OUpgrade naar KadastraleKaart Pro
Bekijk op Street View
Download DWG/DXF/Excel
oBkQ269OOUpgrade naar KadastraleKaart Pro
t3r9ssHtrHmUpgrade naar KadastraleKaart Pro
PhIaFoOzrUpgrade naar KadastraleKaart Pro
u1ixRzPdKCgNYyUpgrade naar KadastraleKaart Pro
eAl6 SAEujF y0BWZ gvUpgrade naar KadastraleKaart Pro
EvrgR CY0 AS70LUpgrade naar KadastraleKaart Pro
O7 UZd 5EnjB CFcMAhj88Upgrade naar KadastraleKaart Pro
Wy3Ijf3RX2Upgrade naar KadastraleKaart Pro
EaaoUBw l 8UGe RUpgrade naar KadastraleKaart Pro
fbq QBZPUpgrade naar KadastraleKaart Pro
24/01/2013

Percelen
Gebruik de zoekbalk of klik op een perceel om informatie over het perceel te bekijken.