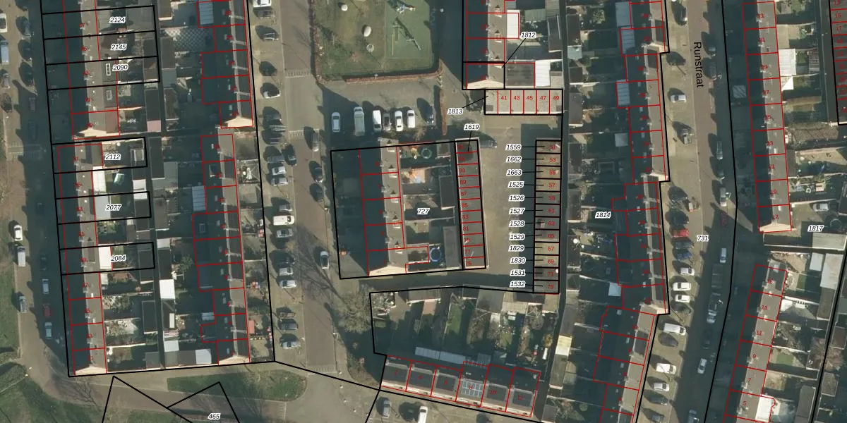
Perceel: HTG00-D-727

5 adressen bij perceel

Lingestraat 1 t/m 9

Perceeloppervlakte & perceelomtrek

893 m2 - 119 m

Eigenaar van het perceel

Eigenaar opvragen

Kadastrale aanduiding

HTG00-D-727 ('s-Hertogenbosch)

Postcode in perceel

    5215 CT

Type eigenaar

StzetOb Z76gm6 0mxUpgrade naar KadastraleKaart Pro

Google Street View

Bekijk op Street View

Download

Download DWG/DXF/Excel

Gerelateerde percelen

eV06YX2duZKoUpgrade naar KadastraleKaart Pro

Bebouwd/onbebouwd/water/groen

Qp2rUfns 50qrUpgrade naar KadastraleKaart Pro
Administratieve eenheden
oPz9pNQIm9Upgrade naar KadastraleKaart Pro

Appartementsrechten

rO20l0qJbBS C6rmMVUpgrade naar KadastraleKaart Pro

Vergunningverlenende instanties

5imhiM5QQUpgrade naar KadastraleKaart Pro

Bedekking (BGT)

8IV79P ItTRbqeUdQ1LUpgrade naar KadastraleKaart Pro

Publiekrechtelijke beperkingen

2JdMz64NQYxS oDrUpgrade naar KadastraleKaart Pro

Grensnauwkeurigheid

KvKDcUMKUpgrade naar KadastraleKaart Pro

Coördinaten hoekpunten perceel

p MU bKgSwoOLDUpgrade naar KadastraleKaart Pro

Hoogteligging

Smt0DNgaRAU2WqUpgrade naar KadastraleKaart Pro

Laatst gewijzigd

18/05/2006

Kadastrale kaart met maatvoering 59,95
Kadastrale kaart pakket 28,95

Percelen

Gebruik de zoekbalk of klik op een perceel om informatie over het perceel te bekijken.
Locatie
Meten
Lagen
Download