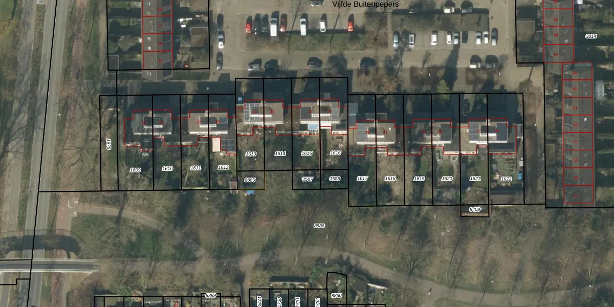
Perceel: HTG00-O-1615
KadastraleKaart.com kan meer dan je denktOntdek meer ›
Filter op bestemming 50+ datasets Eigendomsdata in één klik Percelen CRM
272 m2 - 78 m
Eigenaar opvragen
HTG00-O-1615 ('s-Hertogenbosch)
- 5231 GJ
vNOcqztH oPtkPZ91Upgrade naar KadastraleKaart Pro
Verkoopprijs opvragen
Bekijk op Street View
Download DWG/DXF/Excel
n6YVt i JaUpgrade naar KadastraleKaart Pro
RdDzm3j4Upgrade naar KadastraleKaart Pro
hgZkkhz5qlUpgrade naar KadastraleKaart Pro
n9 WDbrP2 HlOUpgrade naar KadastraleKaart Pro
SfZhvMIQ3isUpgrade naar KadastraleKaart Pro
2P2 0eH6KgtjUpgrade naar KadastraleKaart Pro
022inRb9f4T9Upgrade naar KadastraleKaart Pro
iE Wpv 74aB1 RUpgrade naar KadastraleKaart Pro
eg1kBd6k11ly99QitUBr9FUpgrade naar KadastraleKaart Pro
4UN 6f gFxhOJ dAb9vveUpgrade naar KadastraleKaart Pro
17/08/2005

Percelen
Gebruik de zoekbalk of klik op een perceel om informatie over het perceel te bekijken.