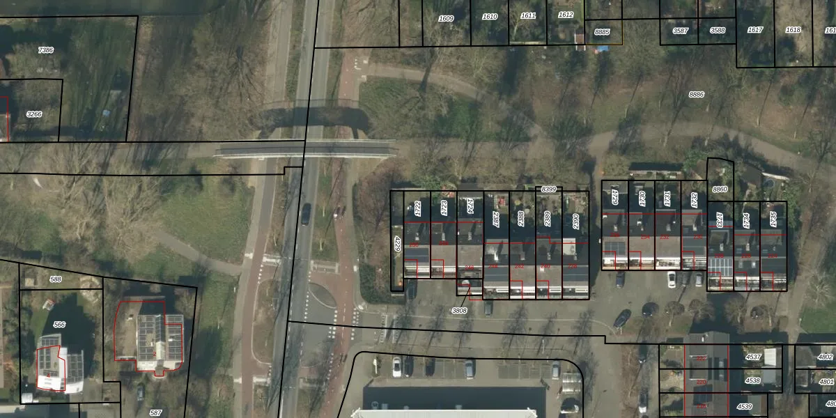
Perceel: HTG00-O-1722
KadastraleKaart.com kan meer dan je denktOntdek meer ›
Filter op bestemming 50+ datasets Eigendomsdata in één klik Percelen CRM
135 m2 - 55 m
Eigenaar opvragen
HTG00-O-1722 ('s-Hertogenbosch)
- 5231 HL
F 8 HP9HphPsF3g0H yyb6dUpgrade naar KadastraleKaart Pro
Bekijk op Street View
Download DWG/DXF/Excel
b63 XzyfyJkkLfouHJF9IUpgrade naar KadastraleKaart Pro
pE9n GslgkUpgrade naar KadastraleKaart Pro
ezjiMoCmrjq aBUr eUpgrade naar KadastraleKaart Pro
vfWgULum FrDrUpgrade naar KadastraleKaart Pro
uaKuxb T MUYqGUwUpgrade naar KadastraleKaart Pro
cu9qH vkrblVjbw8HbbRPTUpgrade naar KadastraleKaart Pro
bmVJ t p E96 PcFjx Upgrade naar KadastraleKaart Pro
5Ib OatHUpgrade naar KadastraleKaart Pro
G9Dw9fSf s2N up8 ZrUpgrade naar KadastraleKaart Pro
Q Pts7HJPMKPiIUpgrade naar KadastraleKaart Pro
20/11/2019

Percelen
Gebruik de zoekbalk of klik op een perceel om informatie over het perceel te bekijken.