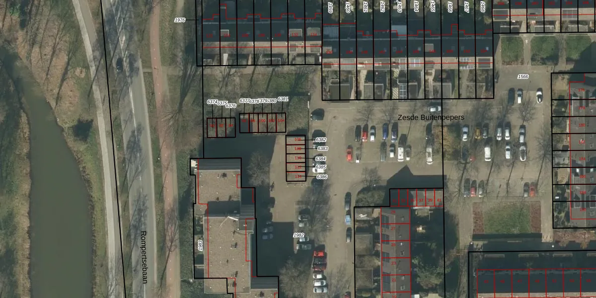
Perceel: HTG00-O-6383
KadastraleKaart.com kan meer dan je denktOntdek meer ›
Filter op bestemming 50+ datasets Eigendomsdata in één klik Percelen CRM
19 m2 - 19 m
Eigenaar opvragen
HTG00-O-6383 ('s-Hertogenbosch)
- Geen postcode aanwezig
NJVZJBmN7sYk30SDUpgrade naar KadastraleKaart Pro
Bekijk op Street View
Download DWG/DXF/Excel
swIX3ZuhgpNUpgrade naar KadastraleKaart Pro
9B 2P1gPdRtWkWUpgrade naar KadastraleKaart Pro
66 CwnbNE9AjM2sIFaQc8wUpgrade naar KadastraleKaart Pro
XOmgTCtrfyXO4el DUpgrade naar KadastraleKaart Pro
HsNvZrDa CkPziiVXUpgrade naar KadastraleKaart Pro
22htf 3RSuEQnIsZUpgrade naar KadastraleKaart Pro
lSRHmgsEeplzy8p KoEJkGrUpgrade naar KadastraleKaart Pro
xeEr Ki4mrA1bXUpgrade naar KadastraleKaart Pro
Xx12aQfKWjP6i Upgrade naar KadastraleKaart Pro
8H r39tuUpgrade naar KadastraleKaart Pro
17/08/2005

Percelen
Gebruik de zoekbalk of klik op een perceel om informatie over het perceel te bekijken.