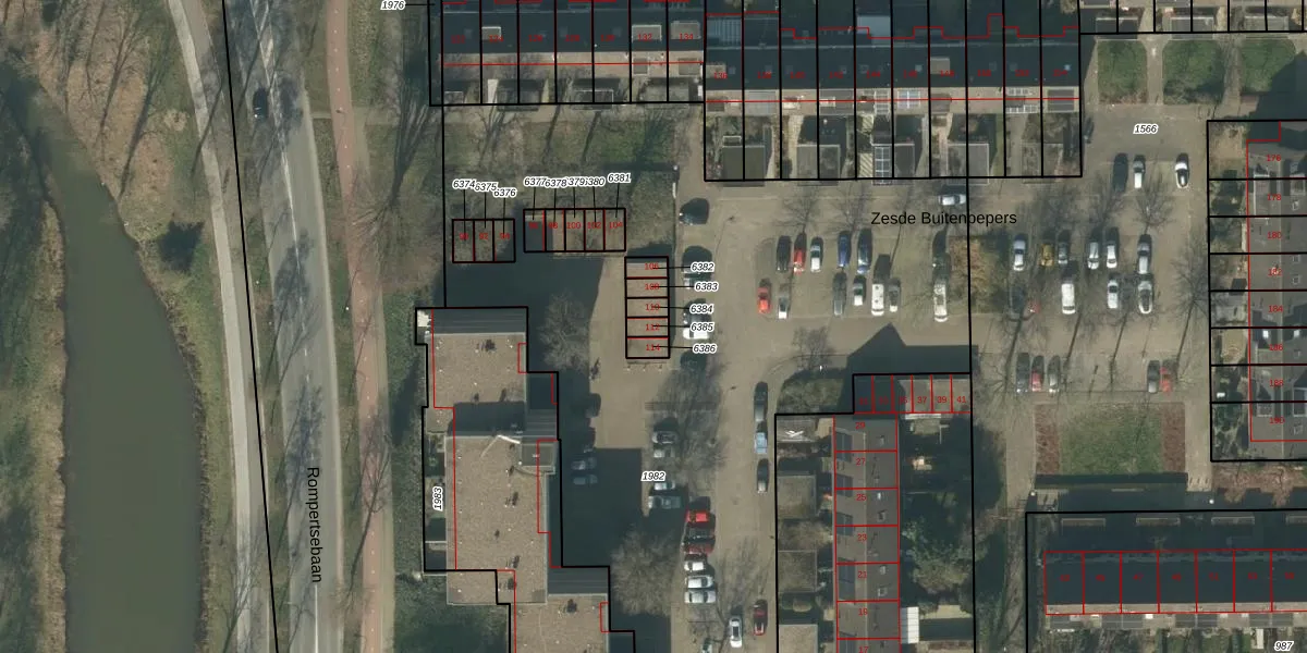
Perceel: HTG00-O-6385
KadastraleKaart.com kan meer dan je denktOntdek meer ›
Filter op bestemming 50+ datasets Eigendomsdata in één klik Percelen CRM
19 m2 - 19 m
Eigenaar opvragen
HTG00-O-6385 ('s-Hertogenbosch)
- Geen postcode aanwezig
Ei 5C8doSP G0QM5XE6tyiUpgrade naar KadastraleKaart Pro
Bekijk op Street View
Download DWG/DXF/Excel
4cb0x9ef 3 MUpgrade naar KadastraleKaart Pro
3g5OTV00Upgrade naar KadastraleKaart Pro
B2wb UDFvCSsROzGSw30wnbUpgrade naar KadastraleKaart Pro
eAOKFR 3 tjUpgrade naar KadastraleKaart Pro
7 X63IG3r wgUUkJif 1tWUpgrade naar KadastraleKaart Pro
5 OTv6BqI Upgrade naar KadastraleKaart Pro
039fKqoPPZ XU8xsD6FUpgrade naar KadastraleKaart Pro
DHhnP ebd2CBlitUpgrade naar KadastraleKaart Pro
sQR JDoUPnEmUpgrade naar KadastraleKaart Pro
5xBp hgEtMHMrBZ C 0wpUpgrade naar KadastraleKaart Pro
17/08/2005

Percelen
Gebruik de zoekbalk of klik op een perceel om informatie over het perceel te bekijken.