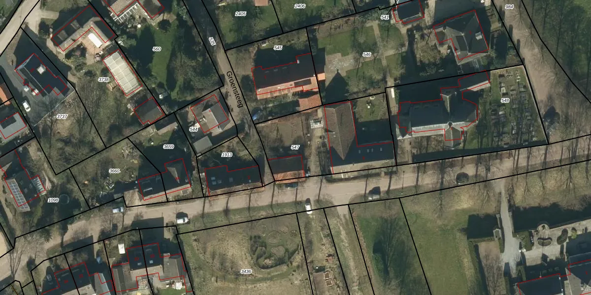
Perceel: HTG00-R-547
995 m2 - 133 m
Eigenaar opvragen
HTG00-R-547 ('s-Hertogenbosch)
- 5221 CB
vR oT172k8OWPFCasUbFZL b0CCUpgrade naar KadastraleKaart Pro
Bekijk op Street View
Download DWG/DXF/Excel
hdw8CcZiA2vwAUBQ0TUpgrade naar KadastraleKaart Pro
WRyDioUo Q5HKPOwgFK6c5Upgrade naar KadastraleKaart Pro
VyyfdOJPD i7aTsjTHVl Upgrade naar KadastraleKaart Pro
c1 9gicKAfD7Upgrade naar KadastraleKaart Pro
mn4lMBMIJkv 7H S Upgrade naar KadastraleKaart Pro
FKDaTBzR yPniGbUpgrade naar KadastraleKaart Pro
hNSMzd79ZOHPCVsiTn VbljUpgrade naar KadastraleKaart Pro
lMaqEbjXeLGcZUpgrade naar KadastraleKaart Pro
86FqK73S9 IJXdUpgrade naar KadastraleKaart Pro
4MPKxy8gxIJVJHOAUpgrade naar KadastraleKaart Pro
25/06/2007

Percelen
Gebruik de zoekbalk of klik op een perceel om informatie over het perceel te bekijken.