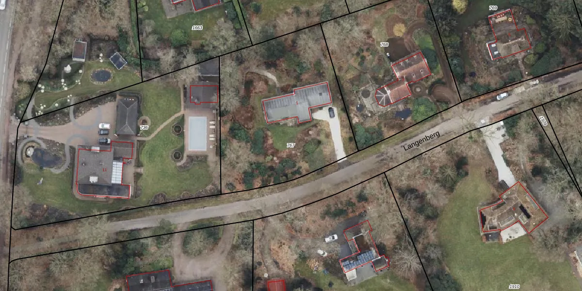
Perceel: HTM00-B-767
KadastraleKaart.com kan meer dan je denktOntdek meer ›
Filter op bestemming 50+ datasets Eigendomsdata in één klik Percelen CRM
2.070 m2 - 180 m
Eigenaar opvragen
HTM00-B-767 (Hattem)
- 8051 AV
VXun49wJbEZs7NL02 u7swKT2 UhRUpgrade naar KadastraleKaart Pro
Bekijk op Street View
Download DWG/DXF/Excel
pTjAKuGDnPlUpgrade naar KadastraleKaart Pro
PsJAr 956pYvUpgrade naar KadastraleKaart Pro
l0bM18X Upgrade naar KadastraleKaart Pro
lMviCjTHRUpgrade naar KadastraleKaart Pro
zGNachX8t2PJ6XrFtpEFNvUpgrade naar KadastraleKaart Pro
LyXn7WjVpUpgrade naar KadastraleKaart Pro
IMZDWj2NzvMQLK jNcXV5tUpgrade naar KadastraleKaart Pro
eQ7O6SfVVkM17Upgrade naar KadastraleKaart Pro
3E7wSYc Upgrade naar KadastraleKaart Pro
oePQ3GT6EmGf 1z300DUpgrade naar KadastraleKaart Pro
24/07/2001

Percelen
Gebruik de zoekbalk of klik op een perceel om informatie over het perceel te bekijken.