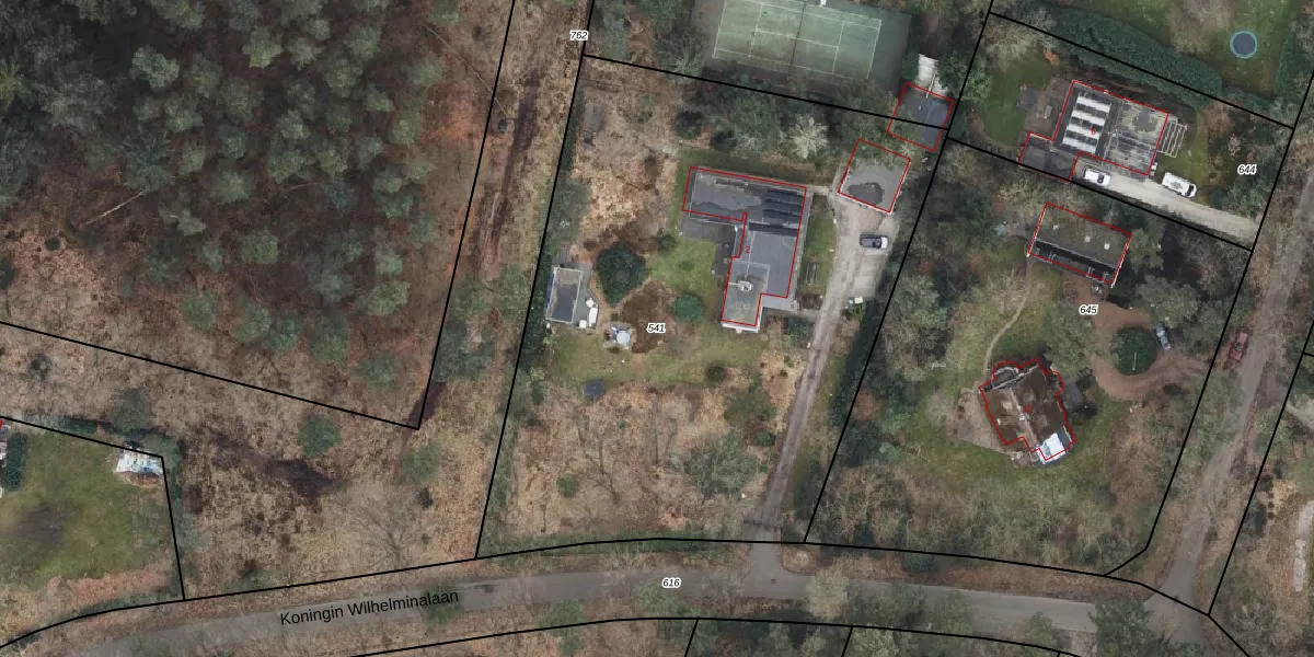
Perceel: HTM00-C-541
KadastraleKaart.com kan meer dan je denktOntdek meer ›
Filter op bestemming 50+ datasets Eigendomsdata in één klik Percelen CRM
3.680 m2 - 252 m
Eigenaar opvragen
HTM00-C-541 (Hattem)
- 8051 PA
4XNfjOrlbqvXVPuAD vYziE1gy2JxCXUpgrade naar KadastraleKaart Pro
Verkoopprijs opvragen
Bekijk op Street View
Download DWG/DXF/Excel
EpO FK RHP 8 Upgrade naar KadastraleKaart Pro
IK mL CpVZUpgrade naar KadastraleKaart Pro
TSeEQmV oEk JtujZCy 4mNUpgrade naar KadastraleKaart Pro
spNMuvG6FmMTzZbOW6CwJUpgrade naar KadastraleKaart Pro
h CC BUQVF nRYFUpgrade naar KadastraleKaart Pro
B7OWlnIdUpgrade naar KadastraleKaart Pro
6dBZ2h5KVhUhIRUpgrade naar KadastraleKaart Pro
s tbrnRJk8AFHt Upgrade naar KadastraleKaart Pro
5CQVELB3 IMruwL7weUpgrade naar KadastraleKaart Pro
sBdMNRuQtO T3EUpgrade naar KadastraleKaart Pro
05/12/2001

Percelen
Gebruik de zoekbalk of klik op een perceel om informatie over het perceel te bekijken.