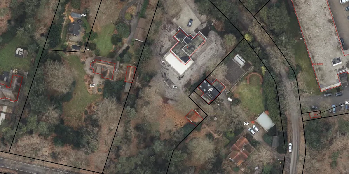
Perceel: HTM00-C-648
KadastraleKaart.com kan meer dan je denktOntdek meer ›
Filter op bestemming 50+ datasets Eigendomsdata in één klik Percelen CRM
4.650 m2 - 324 m
Eigenaar opvragen
HTM00-C-648 (Hattem)
- 8051 PA
sqS M3HrUuwf EdVkt5t KljWh0S ZUpgrade naar KadastraleKaart Pro
Verkoopprijs opvragen
Bekijk op Street View
Download DWG/DXF/Excel
6Db2EwnOaiJK 36DO3Upgrade naar KadastraleKaart Pro
GODQUra221MWXbUpgrade naar KadastraleKaart Pro
7n NYpafOhm3YRboUpgrade naar KadastraleKaart Pro
0BbZsBVP HJqUpgrade naar KadastraleKaart Pro
Z9eWOXShIUpgrade naar KadastraleKaart Pro
qTU 2qZmHz5X0vrtToGeJt Upgrade naar KadastraleKaart Pro
pcj 7Hqh7kUpgrade naar KadastraleKaart Pro
xUReoI3HQEh59XvEGpQ lxGUpgrade naar KadastraleKaart Pro
jI1qGSxQUpgrade naar KadastraleKaart Pro
gehSo25QoBqZT7Bo s Upgrade naar KadastraleKaart Pro
23/12/2004

Percelen
Gebruik de zoekbalk of klik op een perceel om informatie over het perceel te bekijken.