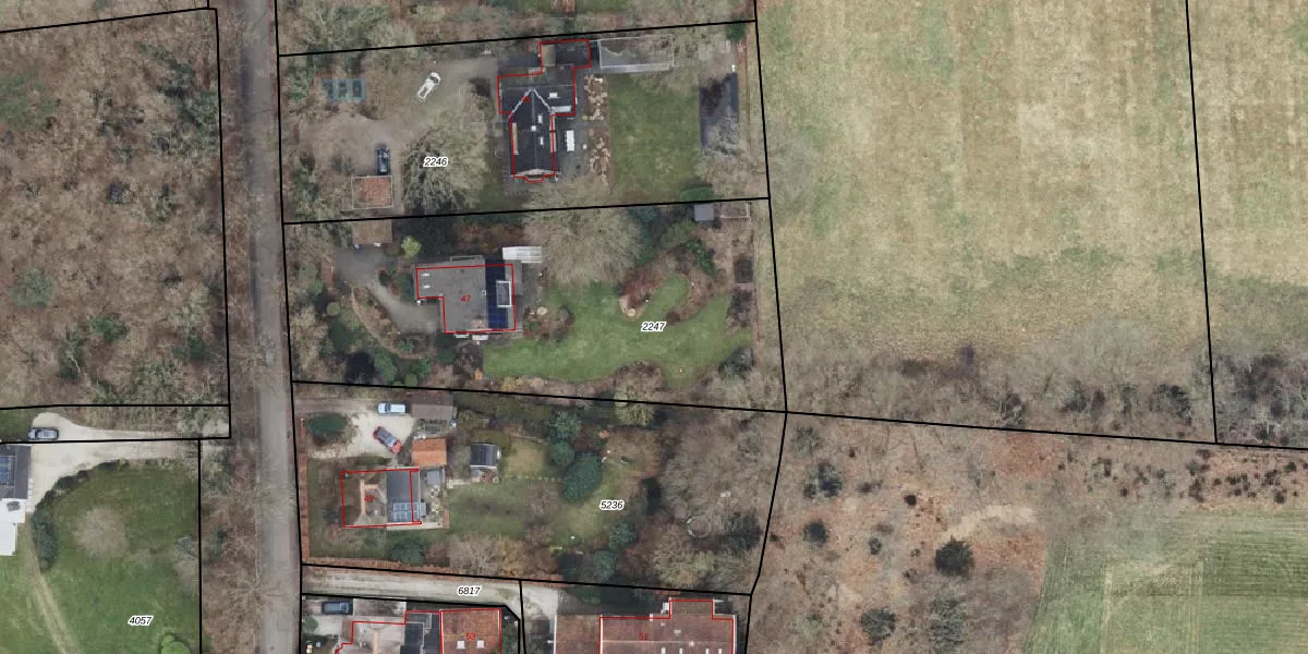
Perceel: HTM00-D-2247
KadastraleKaart.com kan meer dan je denktOntdek meer ›
Filter op bestemming 50+ datasets Eigendomsdata in één klik Percelen CRM
2.080 m2 - 207 m
Eigenaar opvragen
HTM00-D-2247 (Hattem)
- 8051 NN
hERqTLMsP9nJJJ DuRVIqUpgrade naar KadastraleKaart Pro
Bekijk op Street View
Download DWG/DXF/Excel
9nj8cjZFHDSsrMUpgrade naar KadastraleKaart Pro
N4m QncyUn6hN3G7EtUpgrade naar KadastraleKaart Pro
xLYdfR4BYFuRbbGb 4Upgrade naar KadastraleKaart Pro
4yZ nPS0yUpgrade naar KadastraleKaart Pro
RZI9tzxGyMF4yUpgrade naar KadastraleKaart Pro
F3Imflvl55FHDTUpgrade naar KadastraleKaart Pro
DOW2juCGAsa je8baNl1Fe8Upgrade naar KadastraleKaart Pro
jUQ OfPFlKT8T wdslB02yUpgrade naar KadastraleKaart Pro
mrgtQVuIO9I0r t PUpgrade naar KadastraleKaart Pro
isofy31hbBl 6c9V0 Upgrade naar KadastraleKaart Pro
13/08/2008

Percelen
Gebruik de zoekbalk of klik op een perceel om informatie over het perceel te bekijken.