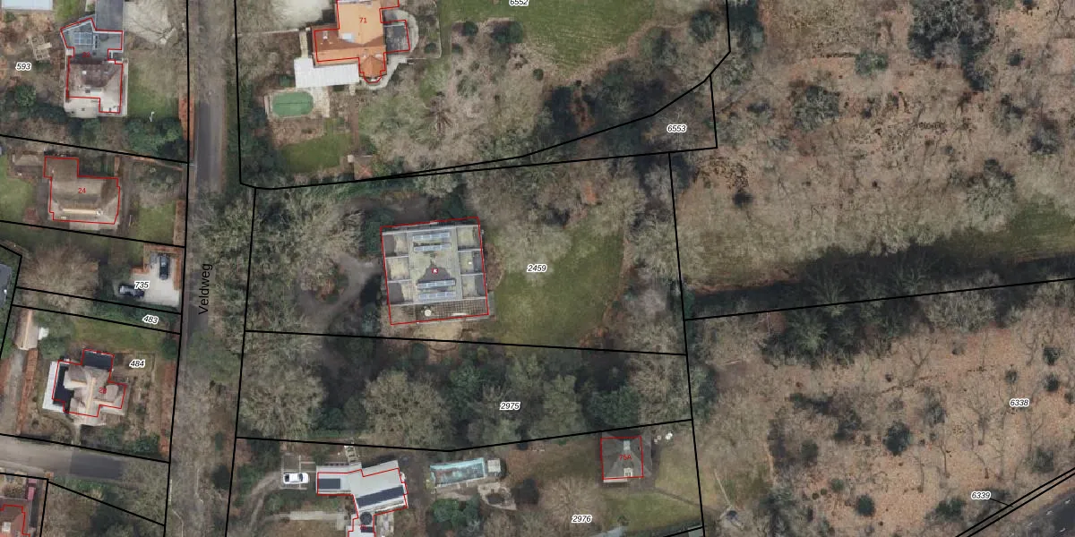
Perceel: HTM00-D-2459
KadastraleKaart.com kan meer dan je denktOntdek meer ›
Filter op bestemming 50+ datasets Eigendomsdata in één klik Percelen CRM
2.544 m2 - 224 m
Eigenaar opvragen
HTM00-D-2459 (Hattem)
- 8051 NP
884y3uIjYqBOcS9GlLeUpgrade naar KadastraleKaart Pro
Bekijk op Street View
Download DWG/DXF/Excel
HTBvvfWxoldiiTqmvoB Upgrade naar KadastraleKaart Pro
Hp hwUVzJDy Bbv J9w jUpgrade naar KadastraleKaart Pro
U24Fn8mMY2AUpgrade naar KadastraleKaart Pro
8YizvdWwPy6YN zaUpgrade naar KadastraleKaart Pro
yVglBKFqlomKpTlNVNaUpgrade naar KadastraleKaart Pro
nIeleJedh87 CCaEFaUpgrade naar KadastraleKaart Pro
Ir6qcVRYiQ SO219Ooc1Upgrade naar KadastraleKaart Pro
GxtMF6dTmtvv4E6hotUpgrade naar KadastraleKaart Pro
ZKjcN3rRBuNd2JUpgrade naar KadastraleKaart Pro
Dluv sgwzyUpgrade naar KadastraleKaart Pro
16/04/2003

Percelen
Gebruik de zoekbalk of klik op een perceel om informatie over het perceel te bekijken.