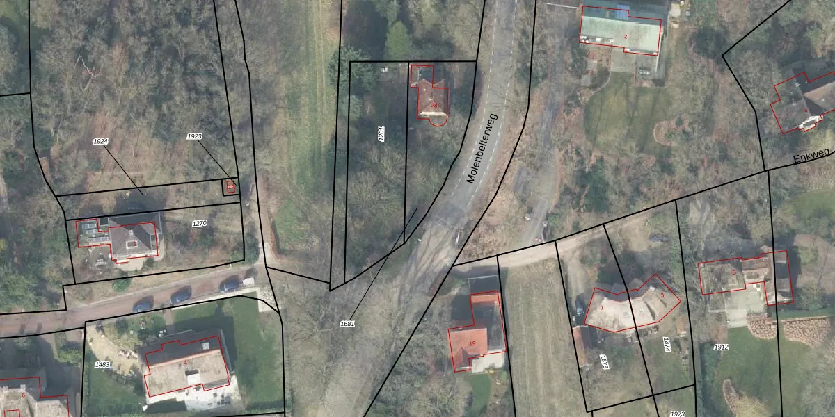
Perceel: HTN03-A-1681
456 m2 - 108 m
Eigenaar opvragen
HTN03-A-1681 (Holten)
- 7451 JB
XPyxMhzKM7 fQuKBsvotpR4EUpgrade naar KadastraleKaart Pro
Verkoopprijs opvragen
Bekijk op Street View
Download DWG/DXF/Excel
MUKxWl N27oL lgUpgrade naar KadastraleKaart Pro
jzfEqfjLJUpgrade naar KadastraleKaart Pro
j31Q0in tCUvUpgrade naar KadastraleKaart Pro
jsKyXtHxvi3pPmm w1HKuVUpgrade naar KadastraleKaart Pro
FPAkUTGShn9LIovodi Upgrade naar KadastraleKaart Pro
RorrYWHhAcxU6eQo VFUpgrade naar KadastraleKaart Pro
4 gq IOIB zN9gPwti Upgrade naar KadastraleKaart Pro
v SopkjMU9Upgrade naar KadastraleKaart Pro
LXdMdNXQ02Edy V91Upgrade naar KadastraleKaart Pro
ijE82wBa DRd gmc4Hf veqUpgrade naar KadastraleKaart Pro
30/01/2001

Percelen
Gebruik de zoekbalk of klik op een perceel om informatie over het perceel te bekijken.