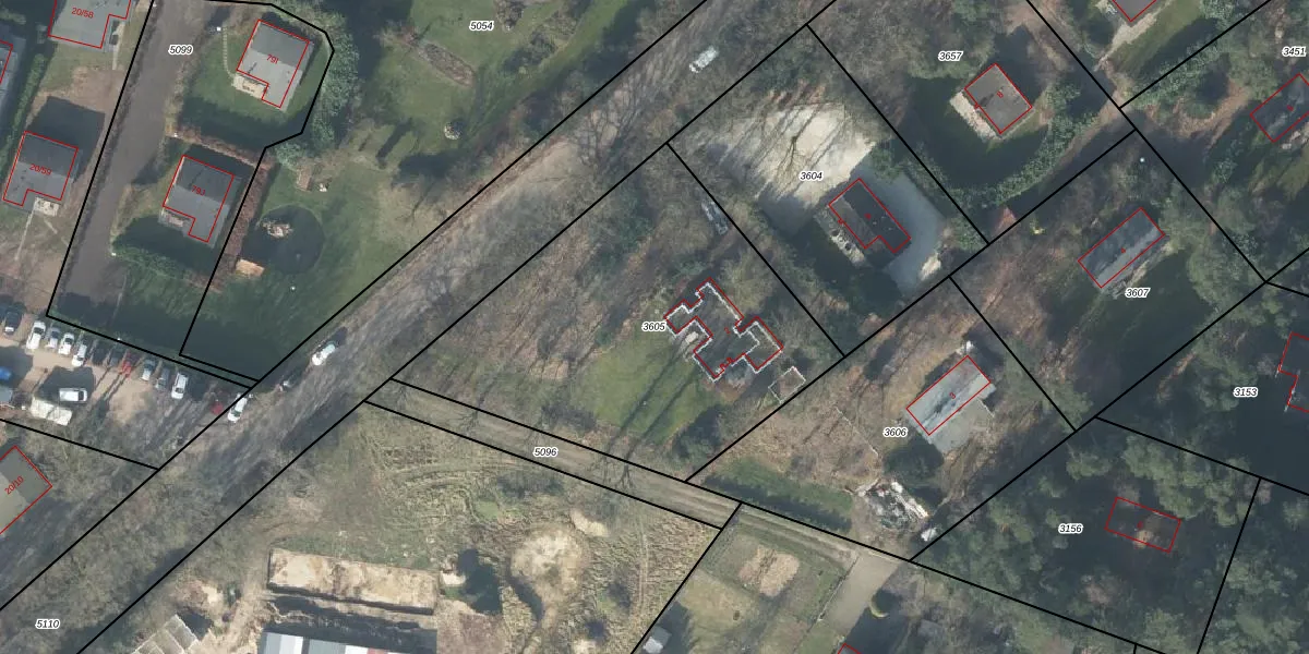
Perceel: HTN03-B-3605
1.820 m2 - 177 m
Eigenaar opvragen
HTN03-B-3605 (Holten)
- 7451 ST
TEYMjIzkWKA0XQ m7iaHoWhEUpgrade naar KadastraleKaart Pro
Bekijk op Street View
Download DWG/DXF/Excel
qjGYrHNBGhLX9jBUpgrade naar KadastraleKaart Pro
EPZ63XmaX 8Upgrade naar KadastraleKaart Pro
IjwPMWDIszTN30WRTGewUpgrade naar KadastraleKaart Pro
io3Ma mOhyiX8EyUpgrade naar KadastraleKaart Pro
GMGYEn1XmF 2fTeUpgrade naar KadastraleKaart Pro
6g NSk6teguB7ISSCfpUpgrade naar KadastraleKaart Pro
ZzO72q44f5N8Bm7ZEXgWYpUpgrade naar KadastraleKaart Pro
z7faePnUriUpgrade naar KadastraleKaart Pro
Oaut0EcSLUpgrade naar KadastraleKaart Pro
OIYy90GZyE3aKIAhUiP4fUpgrade naar KadastraleKaart Pro
08/05/2013

Percelen
Gebruik de zoekbalk of klik op een perceel om informatie over het perceel te bekijken.