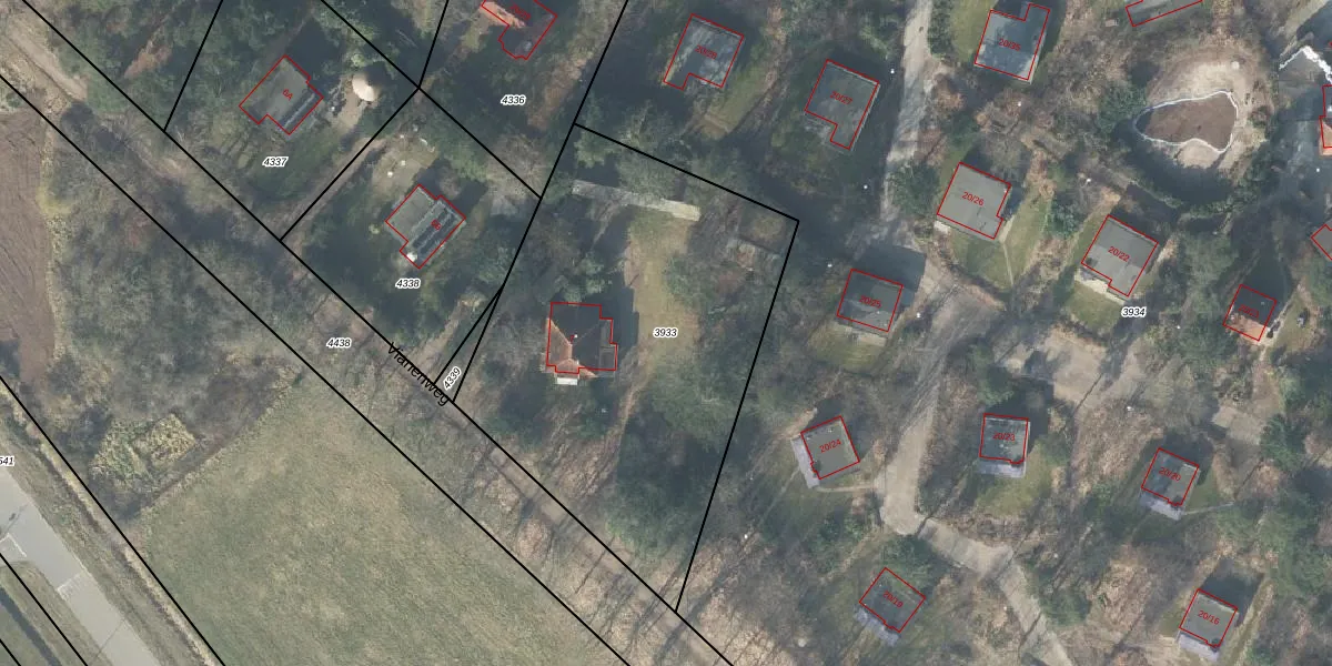
Perceel: HTN03-B-3933
2.110 m2 - 190 m
Eigenaar opvragen
HTN03-B-3933 (Holten)
- 7451 TD
GJajMw5g1 DlyfPm4ETDbI7Upgrade naar KadastraleKaart Pro
Bekijk op Street View
Download DWG/DXF/Excel
f NZM6R3ALwGv saIORCUpgrade naar KadastraleKaart Pro
9aT qZC33kAfJUpgrade naar KadastraleKaart Pro
Y3GQl2 cYZ3y5BGjE3JrLUpgrade naar KadastraleKaart Pro
Cw7dGc JuP35Upgrade naar KadastraleKaart Pro
e9dt8rU0EcTyxdUpgrade naar KadastraleKaart Pro
XzHgO3nxjkOrRjePgznFgUpgrade naar KadastraleKaart Pro
oxKhV6tbZVX PgdUpgrade naar KadastraleKaart Pro
StApRjnlSGQwUXwnzmJ VMeUpgrade naar KadastraleKaart Pro
adpXY8kSZK9GiUpgrade naar KadastraleKaart Pro
ZmZ0 O KYjSJD1Upgrade naar KadastraleKaart Pro
09/03/2001

Percelen
Gebruik de zoekbalk of klik op een perceel om informatie over het perceel te bekijken.