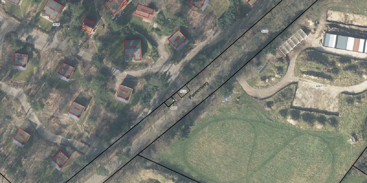
Perceel: HTN03-B-5111
Geen adressen bij dit perceel
26 m2 - 21 m
Eigenaar opvragen
HTN03-B-5111 (Holten)
- Geen postcode aanwezig
Bwo 8SIX7SdHnb AZ h aSUpgrade naar KadastraleKaart Pro
Bekijk op Street View
Download DWG/DXF/Excel
Pyv3WAWDUgd uQb7ul Upgrade naar KadastraleKaart Pro
pH IGzdEWZF CMHStwtBUpgrade naar KadastraleKaart Pro
IL r VONfUpgrade naar KadastraleKaart Pro
9nx2SfgV55p1YlO2 Upgrade naar KadastraleKaart Pro
Lk Nc cR4Upgrade naar KadastraleKaart Pro
x9GzAyV2pTYWhf Upgrade naar KadastraleKaart Pro
Doqq5G7yIMf za f9eprblpUpgrade naar KadastraleKaart Pro
aGxd YXNUsyRN28Upgrade naar KadastraleKaart Pro
oRlOavanb MJUpgrade naar KadastraleKaart Pro
7MYmb 8 zSVdgx6Upgrade naar KadastraleKaart Pro
25/11/2025

Percelen
Gebruik de zoekbalk of klik op een perceel om informatie over het perceel te bekijken.