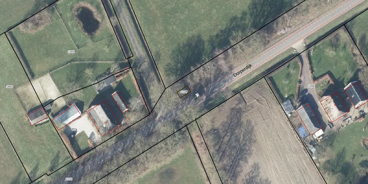
Perceel: HTN03-H-2234
Geen adressen bij dit perceel
24 m2 - 20 m
Eigenaar opvragen
HTN03-H-2234 (Holten)
- Geen postcode aanwezig
rFiY Iq 8g2RkAmdhDq4Upgrade naar KadastraleKaart Pro
Bekijk op Street View
Download DWG/DXF/Excel
lhr7l6Rs1fWsUpgrade naar KadastraleKaart Pro
CFyQKee cUpgrade naar KadastraleKaart Pro
UGaj4LDiydD1vD5eUpgrade naar KadastraleKaart Pro
T1S0RJRNUpgrade naar KadastraleKaart Pro
uyHE7m b9IkY 4SvvgOutUpgrade naar KadastraleKaart Pro
x6S jTRctXSUC0gK3 xUpgrade naar KadastraleKaart Pro
1Nxpg8HcwUpgrade naar KadastraleKaart Pro
6BslJv9TRTUpgrade naar KadastraleKaart Pro
zI4unljUTbRqNtUpgrade naar KadastraleKaart Pro
9TorkY PxzarrUpgrade naar KadastraleKaart Pro
13/08/2025

Percelen
Gebruik de zoekbalk of klik op een perceel om informatie over het perceel te bekijken.