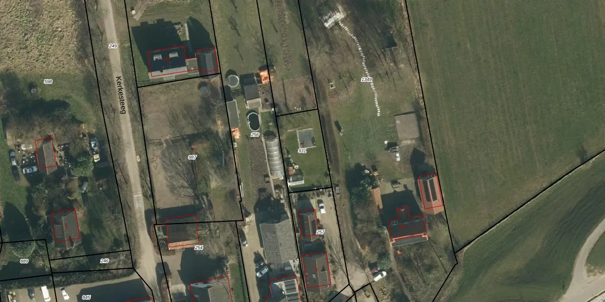
Perceel: HTN05-H-931
Geen adressen bij dit perceel
375 m2 - 81 m
Eigenaar opvragen
HTN05-H-931 (Haaften)
- Geen postcode aanwezig
Aa81O i0Htu1AY6pP R sRJOUpgrade naar KadastraleKaart Pro
Bekijk op Street View
Download DWG/DXF/Excel
ltx FKifKSX bys7UUpgrade naar KadastraleKaart Pro
670fk11ODaJUpgrade naar KadastraleKaart Pro
2 Shz 95U dNorUjqHGUpgrade naar KadastraleKaart Pro
jFFxI TjxxeKNaZUpgrade naar KadastraleKaart Pro
aWD pZsOxUpgrade naar KadastraleKaart Pro
Hyb4o4a IdZEUpgrade naar KadastraleKaart Pro
N Gzie2Gq330qjGd7OAUpgrade naar KadastraleKaart Pro
uCNKBw OoCMe4jUpgrade naar KadastraleKaart Pro
eUF7fKM P6LV3PEUpgrade naar KadastraleKaart Pro
j747ZBqAUpgrade naar KadastraleKaart Pro
21/01/2003

Percelen
Gebruik de zoekbalk of klik op een perceel om informatie over het perceel te bekijken.