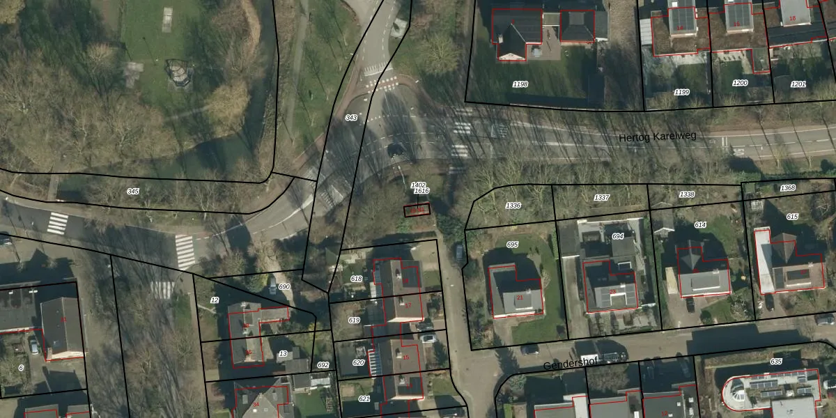
Perceel: HTN05-K-1402
15 m2 - 17 m
Eigenaar opvragen
HTN05-K-1402 (Haaften)
- 4175 AN
Mat3m THzQcR7tmVQT0yWfNUuIypUpgrade naar KadastraleKaart Pro
Bekijk op Street View
Download DWG/DXF/Excel
LHWz6ZcfS9CTUzfLUpgrade naar KadastraleKaart Pro
1PTBNKCK1pAmr7Upgrade naar KadastraleKaart Pro
nOKUQmhNloZSGyBmfbM3kiqUpgrade naar KadastraleKaart Pro
QU0Qx2n2SBM 9b6iy xUpgrade naar KadastraleKaart Pro
ATfyWV 2IUpgrade naar KadastraleKaart Pro
Pp4J1zFHl748yf 7Axj1CrUpgrade naar KadastraleKaart Pro
sdoMJXV2nXzaNf6UUpgrade naar KadastraleKaart Pro
BS4z6S1R15GUEcEiUpgrade naar KadastraleKaart Pro
tjVa Zn3d9umGUpgrade naar KadastraleKaart Pro
e1IhIIygwUpgrade naar KadastraleKaart Pro
15/08/2016

Percelen
Gebruik de zoekbalk of klik op een perceel om informatie over het perceel te bekijken.