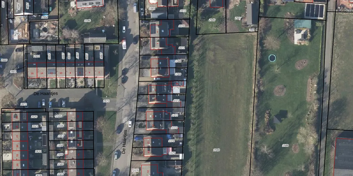
Perceel: HTR00-C-1770
KadastraleKaart.com kan meer dan je denktOntdek meer ›
Filter op bestemming 50+ datasets Eigendomsdata in één klik Percelen CRM
203 m2 - 70 m
Eigenaar opvragen
HTR00-C-1770 (Heteren)
- 6666 DP
j90 y l tEQj8Y xUpgrade naar KadastraleKaart Pro
Verkoopprijs opvragen
Bekijk op Street View
Download DWG/DXF/Excel
ptMOVuZ5m3MK9NYTT1PUpgrade naar KadastraleKaart Pro
oOqcsMeHAEU ErJUx OUpgrade naar KadastraleKaart Pro
yw VDFijPUpgrade naar KadastraleKaart Pro
O7u7vn8x8A7LpwQmFUpgrade naar KadastraleKaart Pro
tW0nXpSW2CvKm7YgUpgrade naar KadastraleKaart Pro
qpVRyOp1xpGeKQEKahNhUpgrade naar KadastraleKaart Pro
MUiiwKl4MeYZwkDEUpgrade naar KadastraleKaart Pro
i3JG v8rx C zyzSPq0RUpgrade naar KadastraleKaart Pro
CW8x3 cCGs2Upgrade naar KadastraleKaart Pro
ctqliEiXlIJrfVqKUpgrade naar KadastraleKaart Pro
01/04/2009

Percelen
Gebruik de zoekbalk of klik op een perceel om informatie over het perceel te bekijken.