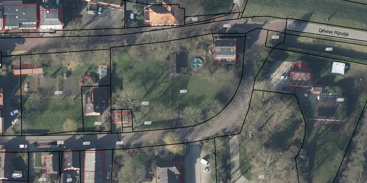
Perceel: HTR00-C-2106
KadastraleKaart.com kan meer dan je denktOntdek meer ›
Filter op bestemming 50+ datasets Eigendomsdata in één klik Percelen CRM
3.090 m2 - 229 m
Eigenaar opvragen
HTR00-C-2106 (Heteren)
- 6666 AA
s TSJZgYmln1NIl24RMcq N81gfWN43Upgrade naar KadastraleKaart Pro
Verkoopprijs opvragen
Bekijk op Street View
Download DWG/DXF/Excel
urYUvz TIDj3EJBFRInUpgrade naar KadastraleKaart Pro
BhRL5lA FFCsFXAZnDIqUpgrade naar KadastraleKaart Pro
5FE5 E4qSok0NDNRCXn9cUpgrade naar KadastraleKaart Pro
9ei1Be9qGEb2wKLtZgCUpgrade naar KadastraleKaart Pro
o ddWkY8MWCmaX QTlUpgrade naar KadastraleKaart Pro
nj m SbBloOxehSq6sUpgrade naar KadastraleKaart Pro
gGvZ6h KWk9xUpgrade naar KadastraleKaart Pro
EaCZ DJEjxr5oUpgrade naar KadastraleKaart Pro
CMW fheGUWTrDMgqxvUpgrade naar KadastraleKaart Pro
SPmbpvBMrVf0 HiUpgrade naar KadastraleKaart Pro
15/10/2008

Percelen
Gebruik de zoekbalk of klik op een perceel om informatie over het perceel te bekijken.