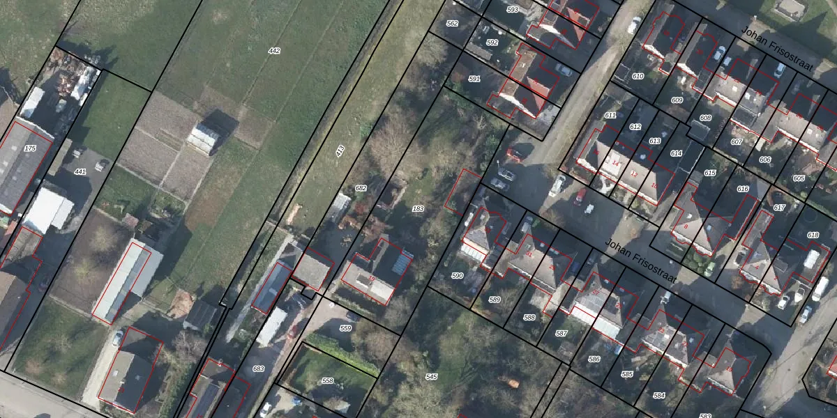
Perceel: HTR00-E-183
KadastraleKaart.com kan meer dan je denktOntdek meer ›
Filter op bestemming 50+ datasets Eigendomsdata in één klik Percelen CRM
1.145 m2 - 154 m
Eigenaar opvragen
HTR00-E-183 (Heteren)
- 6668 AR
I 03U31uvBYH6bKiUpgrade naar KadastraleKaart Pro
Verkoopprijs opvragen
Bekijk op Street View
Download DWG/DXF/Excel
NuKHuecya Gt4EBynluH7xeUpgrade naar KadastraleKaart Pro
ZxfONlT2ZxHSSOfUpgrade naar KadastraleKaart Pro
Svnv8hxTNGTAkOVB38xuUpgrade naar KadastraleKaart Pro
ETw8ixPO0etUUpgrade naar KadastraleKaart Pro
vuN w03H5BsUpgrade naar KadastraleKaart Pro
iUIJz1y 4JnpcmHYhUpgrade naar KadastraleKaart Pro
ZS4KSsGeMdcUdOUpgrade naar KadastraleKaart Pro
3xq fStkOb2eF4L X7RW wNUpgrade naar KadastraleKaart Pro
RQmaS5LU5Upgrade naar KadastraleKaart Pro
iB5no8aZ mUpgrade naar KadastraleKaart Pro
01/05/2007

Percelen
Gebruik de zoekbalk of klik op een perceel om informatie over het perceel te bekijken.