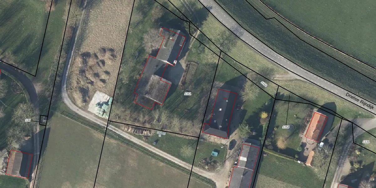
Perceel: HTR00-F-1151
KadastraleKaart.com kan meer dan je denktOntdek meer ›
Filter op bestemming 50+ datasets Eigendomsdata in één klik Percelen CRM
3.010 m2 - 226 m
Eigenaar opvragen
HTR00-F-1151 (Heteren)
- 6666 LL
loPnRR8 EqlZ45iabnLb6NUpgrade naar KadastraleKaart Pro
Bekijk op Street View
Download DWG/DXF/Excel
PlID1of YICEMCZUpgrade naar KadastraleKaart Pro
xO3h 3 c9AGtnTcwOv 0Upgrade naar KadastraleKaart Pro
RxTbHor ygVw A HlSKRfzUpgrade naar KadastraleKaart Pro
SYS4Ax2 a8 nDn4nUpgrade naar KadastraleKaart Pro
5sIgv3vOfklq9S69QUpgrade naar KadastraleKaart Pro
wKRHaySWooa0qtHKccUpgrade naar KadastraleKaart Pro
rVvVpvpZ0ag I81Upgrade naar KadastraleKaart Pro
d TpFmcTUpgrade naar KadastraleKaart Pro
RRS eqGw3MlUpgrade naar KadastraleKaart Pro
qc QhrkgIlSY Upgrade naar KadastraleKaart Pro
19/01/2004

Percelen
Gebruik de zoekbalk of klik op een perceel om informatie over het perceel te bekijken.