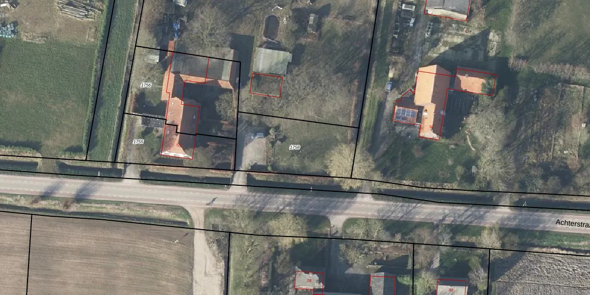
Perceel: HTR00-F-1758
KadastraleKaart.com kan meer dan je denktOntdek meer ›
Filter op bestemming 50+ datasets Eigendomsdata in één klik Percelen CRM
Geen adressen bij dit perceel
750 m2 - 118 m
Eigenaar opvragen
HTR00-F-1758 (Heteren)
- Geen postcode aanwezig
ZLg710fdyyS1b1vvEHeU1aIPTNhtN2YUpgrade naar KadastraleKaart Pro
Bekijk op Street View
Download DWG/DXF/Excel
R3qCBibAZL6AUpgrade naar KadastraleKaart Pro
7w X0IECvLoKUpgrade naar KadastraleKaart Pro
4IVnk 7aBIXKPdODUpgrade naar KadastraleKaart Pro
vAyQ2N9LutPfzw1VUUpgrade naar KadastraleKaart Pro
bEkvM PanQUpgrade naar KadastraleKaart Pro
Vb74mu lfDn2nUpgrade naar KadastraleKaart Pro
TWQmlo6 0d2OytPuu2dUpgrade naar KadastraleKaart Pro
SilmXrJ19q8Upgrade naar KadastraleKaart Pro
HemOERb gsUpgrade naar KadastraleKaart Pro
4sedHx w74meOrbYUP13Upgrade naar KadastraleKaart Pro
05/11/2020

Percelen
Gebruik de zoekbalk of klik op een perceel om informatie over het perceel te bekijken.